800 N Lund Hwy 27.71 Acres Zoned R1, Cedar City, UT 84721
Local realty services provided by:CENTURY 21 Wasatch Life Realty
800 N Lund Hwy 27.71 Acres Zoned R1,Cedar City, UT 84721
$1,740,000
- 21.71 Acres
- Lots / Land
- Active
Listed by: jesse g carter
Office: stratum real estate group pllc (south branch)
MLS#:2115375
Source:SL
Price summary
- Price:$1,740,000
About this home
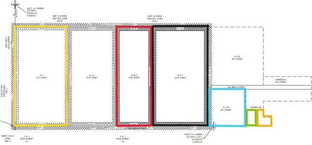
Development opportunity! Should be able to fit up to 60 units which consists of 21.71 acres and is zoned R-1 (Single family home lots). Total water included is 8.41 Acre Feet and that has already been deeded to Cedar City. The parcel has paved road access, water, sewer, electric and gas utilities stubbed to the parcel. In the photos, this listing is the parcel outlined in yellow. Priced to sale, don't delay come see today!
Contact an agent
Home facts
- Listing ID #:2115375
- Added:109 day(s) ago
- Updated:January 28, 2026 at 12:05 PM
Structure and exterior
- Lot area:21.71 Acres
Schools
- High school:None/Other
- Middle school:None/Other
- Elementary school:None/Other
Utilities
- Sewer:Sewer Connected, Sewer: Connected, Sewer: Public, Sewer: Stubbed
Finances and disclosures
- Price:$1,740,000
New listings near 800 N Lund Hwy 27.71 Acres Zoned R1
- Open Thu, 12 to 6pmNew
$663,000Active6 beds 4 baths3,115 sq. ft.2509 W Scenic Dr #107, Cedar City, UT 84720
MLS# 2133262Listed by: LUXURY GROUP - New
$950,000Active3.54 Acres2400 W 850 N, Cedar City, UT 84721
MLS# 2133274Listed by: D&M DISCOUNT REALTY - New
$7,691,219Active19 Acres800 N Lund Hwy 19 Acres & Water, Cedar City, UT 84721
MLS# 2133240Listed by: STRATUM REAL ESTATE GROUP PLLC (SOUTH BRANCH) - New
$40,000Active1 Acres6292 N 1600 W #10, Cedar City, UT 84721
MLS# 2133146Listed by: EXP REALTY, LLC (SOUTHERN UTAH) - New
$495,000Active6 beds 3 baths3,745 sq. ft.1284 S Sundown Ave, Cedar City, UT 84720
MLS# 2132948Listed by: CS REAL ESTATE GROUP PLLC - New
$350,000Active20 Acres6100 W 200 S, Cedar City, UT 84720
MLS# 2132902Listed by: ERA REALTY CENTER INC - New
$152,000Active0.36 Acres2695 W Rock Ridge Rd #504, Cedar City, UT 84720
MLS# 2132791Listed by: ARROW REALTY SERVICES - New
$275,000Active0.97 Acres800 Lund Hwy .97 Acres Commercial, Cedar City, UT 84721
MLS# 2132787Listed by: STRATUM REAL ESTATE GROUP PLLC (SOUTH BRANCH) - New
$145,000Active1 Acres2316 W 3570 N #1, Cedar City, UT 84721
MLS# 2132596Listed by: EXP REALTY, LLC (SOUTHERN UTAH) - New
$625,000Active4 beds 2 baths1,833 sq. ft.486 E Hillview Dr, Cedar City, UT 84721
MLS# 2132624Listed by: PRESTIGE REALTY