1168 S 500 W #1, Manti, UT 84642
Local realty services provided by:CENTURY 21 Lifestyle Real Estate
1168 S 500 W #1,Manti, UT 84642
$125,000
- 0.37 Acres
- Lots / Land
- Active
Listed by: megan boren, s. kelly johnson
Office: era brokers consolidated (salt lake)
MLS#:2091443
Source:SL
Price summary
- Price:$125,000
About this home
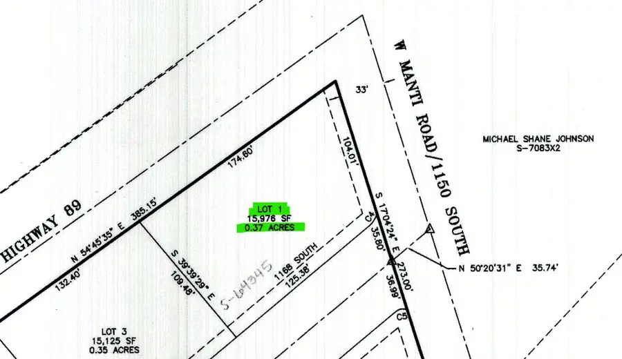
LOT 1 (.37 acres) Available in the new subdivision of Manti Crystal Springs build your dream home where you can stretch out, relax and enjoy beautiful views within a hop, skip and a jump from Manti's downtown. These Improved lots have water power and sewer and are ready for your custom home. Bring your own builder and plans, OR we can build to suit with your plans or ours. Don't forget to bring your horses, cows, goats or chickens, they are welcome! There is culinary water from the city and pressurized irrigation will be installed and available for use to each lot. This neighborhood is planned for comfortable homes and spacious surroundings that fit into an elevated country feel with NO HOA! (See our CC&Rs for details). Drop by and pick your lot today!
Contact an agent
Home facts
- Listing ID #:2091443
- Added:337 day(s) ago
- Updated:May 15, 2026 at 11:04 AM
Structure and exterior
- Lot area:0.37 Acres
- Lot Features:Curb & Gutter, Horse Property, Sidewalks
Schools
- High school:Manti
- Middle school:Ephraim
- Elementary school:Manti
Utilities
- Sewer:Sewer: Public, Sewer: Stubbed
Finances and disclosures
- Price:$125,000
- Tax amount:$1
New listings near 1168 S 500 W #1
- New
$475,000Active5 beds 5 baths4,299 sq. ft.69 S Main St, Manti, UT 84642
MLS# 2155897Listed by: ERA BROKERS CONSOLIDATED (RICHFIELD BRANCH) - New
$125,000Active0.39 Acres1177 S 500 W #2, Manti, UT 84642
MLS# 2155636Listed by: ERA BROKERS CONSOLIDATED (SALT LAKE)
$389,900Active3 beds 2 baths1,500 sq. ft.467 N 500 W, Manti, UT 84642
MLS# 2154807Listed by: PPC RESIDENTIAL DIVISION
$1,375,000Active6 beds 3 baths4,225 sq. ft.1000 E 500 N, Manti, UT 84642
MLS# 2151175Listed by: ASPEN LEAF REALTY, LLC
$529,900Pending4 beds 3 baths3,323 sq. ft.350 N 300 W, Manti, UT 84642
MLS# 2151512Listed by: P.R.C. REALTY
$221,000Active3 beds 1 baths2,008 sq. ft.146 W 200 N, Manti, UT 84642
MLS# 2150726Listed by: RED ROCK REAL ESTATE LLC (CENTRAL)
$660,000Active5 beds 3 baths3,255 sq. ft.783 E 70 S, Manti, UT 84642
MLS# 2149967Listed by: HOMESTEAD REALTY LLC
$1,000,000Pending5 beds 3 baths2,906 sq. ft.33595 N 8140 E, Fairview, UT 84629
MLS# 2149023Listed by: EQUITY REAL ESTATE (UTAH)
$2,300,000Active4 beds 2 baths2,500 sq. ft.1331 S Lowry Hill Rd, Manti, UT 84642
MLS# 2147918Listed by: ERA BROKERS CONSOLIDATED (UTAH COUNTY)
$369,000Active4 beds 2 baths2,240 sq. ft.260 N 200 W, Manti, UT 84642
MLS# 2146291Listed by: REALTYPATH LLC (ADVANTAGE)