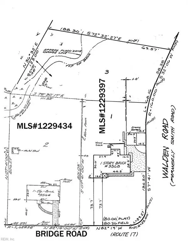
3568 Bridge Road, Suffolk, VA 23435

Local realty services provided by:CENTURY 21 Realty @ Home
3568 Bridge Road,Suffolk, VA 23435
$1,199,000
  • 4 Beds
  • 2 Baths
  • 1,780 sq. ft.
  • Single family
  • Active
Listed by: paul fuqua
Office: bhhs rw towne realty
MLS#:10102302
Source:VA_REIN

Price summary

  • Price:$1,199,000
  • Price per sq. ft.:$673.6

About this home

On Route 17 (Bridge Road) which is a heavily-trafficked North-South Thoroughfare. Zoned SFR. Buyer responsibility to rezone/apply for variance for this significant commercial opportunity on an economic corridor in Fast-Growing Northeastern Suffolk. Road Frontage on Route 17. Survey is available. Value in land, property conveys "As-is, Where is". Very Motivated Seller - open to offers.

Contact an agent

contact an agent

Yes, I would like more information. Please use and/or share my information with an independent agent affiliated with the CENTURY 21®  brand to contact me about my real estate needs. By clicking Send message, I request to be contacted by phone or text message and consent to being contacted by automated means. I understand that my consent to receive calls or texts is not a condition of purchasing any property, goods, or services. Alternatively, I understand that I can access real estate services by email or I can contact the agent myself.

If an independent agent affiliated with the CENTURY 21®  brand is not available in the area where I need assistance, I agree to be contacted by a real estate agent affiliated with another brand owned or licensed by Anywhere Real Estate (BHGRE® , Coldwell Banker® , Corcoran® , ERA® , Sotheby's International Realty® ).
 I acknowledge that I have read and agree to theTerms of useandPrivacy notice

Home facts

  • Year built:1965
  • Listing ID #:10102302
  • Updated:April 24, 2026 at 09:21 AM

Rooms and interior

  • Bedrooms:4
  • Total bathrooms:2
  • Full bathrooms:2
  • Rooms Total:8
  • Flooring:Ceramic, Vinyl, Wood
  • Kitchen Description:Electric Range
  • Bedroom Description:1st Floor Bedroom
  • Living area:1,780 sq. ft.

Heating and cooling

  • Cooling:Central Air
  • Heating:Natural Gas
  • Central air:Yes

Structure and exterior

  • Roof:Asphalt Shingle
  • Year built:1965
  • Building area:1,780 sq. ft.
  • Lot area:1.2 Acres
  • Lot Features:Corner, Wooded
  • Architectural Style:Ranch, Traditional
  • Construction Materials:Brick
  • Exterior Features:Corner, Deck, Wooded
  • Foundation Description:Crawl
  • Levels:1 Story

Schools

  • High school:Nansemond River
  • Middle school:John Yeates Middle
  • Elementary school:Nansemond Parkway Elementary

Utilities

  • Water:City/County, Water Heater - Gas
  • Sewer:City/County

Finances and disclosures

  • Price:$1,199,000
  • Price per sq. ft.:$673.6
  • Tax amount:$1,900

Features and amenities

  • Appliances:Elec Range, Washer Hookup
  • Laundry features:Dryer Hookup, Pull Down Attic Stairs, Washer Hookup
  • Amenities:Attic Fan, Cable Hookup, Pull Down Attic Stairs

Parking

  • Parking description:1 Car Detached Garage, Off Street
The listings data displayed on this medium comes in part from the Real Estate Information Network Inc. (REIN) and has been authorized by participating listing Broker Members of REIN for display. REIN's listings are based upon Data submitted by its Broker Members, and REIN therefore makes no representation or warranty regarding the accuracy of the Data. All users of REIN's listings database should confirm the accuracy of the listing information directly with the listing agent. 2026 REIN. REIN's listings Data and information is protected under federal copyright laws. Federal law prohibits, among other acts, the unauthorized copying or alteration of, or preparation of derivative works from, all or any part of copyrighted materials, including certain compilations of Data and information. COPYRIGHT VIOLATORS MAY BE SUBJECT TO SEVERE FINES AND PENALTIES UNDER FEDERAL LAW. REIN updates its listings on a daily basis. Data last updated: April 24, 2026 This application does not include information on all of the properties available for sale at this time. Some listings may be duplicated in the search results due to the co-mingling of listings from more than one multiple listing service. Should there be different listing information between the duplicated listings; user is advised to verify the accuracy of the listing information before making any financial decisions. 2026 REIN, Inc. Information Deemed Reliable But Not Guaranteed.