10A E Main Street, Waverly, VA 23890

Local realty services provided by:CENTURY 21 Realty @ Home
10A E Main Street,Waverly, VA 23890
$345,000
  • 23.54 Acres
  • Lots / Land
  • Active
Listed by: kimber smith
Office: bhhs rw towne realty
MLS#:10514343
Source:VA_REIN

Price summary

  • Price:$345,000

About this home

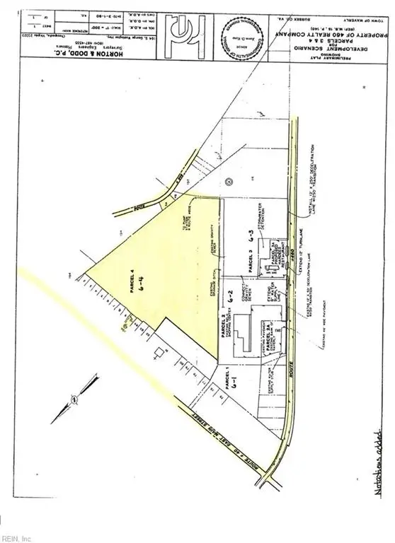
Three parcels listed jointly. Largest parcel is approximately 23.01 acres +/-, zoned R-4 Residential. Lot 10A (.38 acre +/-) is on East Main Street and is possible access to main parcel. Parcel 28A8-6-4a (.15 acre +/-) is on Rt 606 (also known as Beaver Dam Rd) and is possible access to larger parcel. Good development potential.

Contact an agent

contact an agent

Yes, I would like more information. Please use and/or share my information with an independent agent affiliated with the CENTURY 21®  brand to contact me about my real estate needs. By clicking Send message, I request to be contacted by phone or text message and consent to being contacted by automated means. I understand that my consent to receive calls or texts is not a condition of purchasing any property, goods, or services. Alternatively, I understand that I can access real estate services by email or I can contact the agent myself.

If an independent agent affiliated with the CENTURY 21®  brand is not available in the area where I need assistance, I agree to be contacted by a real estate agent affiliated with another brand owned or licensed by Anywhere Real Estate (BHGRE® , Coldwell Banker® , Corcoran® , ERA® , Sotheby's International Realty® ).
 I acknowledge that I have read and agree to theTerms of useandPrivacy notice

Home facts

  • Listing ID #:10514343
  • Updated:March 06, 2026 at 10:37 AM

Structure and exterior

  • Lot area:23.54 Acres
  • Lot Features:Wooded

Schools

  • High school:Sussex Central
  • Middle school:Sussex Central Middle
  • Elementary school:Sussex Central Elementary

Utilities

  • Water:Water Available
  • Sewer:Sewer Available

Finances and disclosures

  • Price:$345,000
  • Tax amount:$890
The listings data displayed on this medium comes in part from the Real Estate Information Network Inc. (REIN) and has been authorized by participating listing Broker Members of REIN for display. REIN's listings are based upon Data submitted by its Broker Members, and REIN therefore makes no representation or warranty regarding the accuracy of the Data. All users of REIN's listings database should confirm the accuracy of the listing information directly with the listing agent. 2026 REIN. REIN's listings Data and information is protected under federal copyright laws. Federal law prohibits, among other acts, the unauthorized copying or alteration of, or preparation of derivative works from, all or any part of copyrighted materials, including certain compilations of Data and information. COPYRIGHT VIOLATORS MAY BE SUBJECT TO SEVERE FINES AND PENALTIES UNDER FEDERAL LAW. REIN updates its listings on a daily basis. Data last updated: March 6, 2026 This application does not include information on all of the properties available for sale at this time. Some listings may be duplicated in the search results due to the co-mingling of listings from more than one multiple listing service. Should there be different listing information between the duplicated listings; user is advised to verify the accuracy of the listing information before making any financial decisions. 2026 REIN, Inc. Information Deemed Reliable But Not Guaranteed.