3 Illahee Road Ne #3, Bremerton, WA 98311

Local realty services provided by:CENTURY 21 Tri-Cities
Listed by: annalee todd
Office: john l. scott, inc.
MLS#:2468261
Source:NWMLS
3 Illahee Road Ne #3,Bremerton, WA 98311
$400,000
  • 2.31 Acres
  • Lots / Land
  • Active

Price summary

  • Price:$400,000

About this home

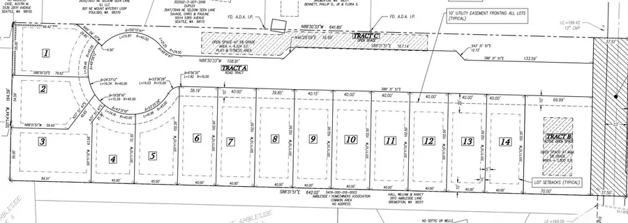
We are on the waitlist for water with North Perry Water District!! Get everything prepped and ready so when the hook ups go online you're ahead of the pack. Gorgeous neighborhood awaits your developer. SDAP Approved for 14 lots! The approval process for this has been approved until JULY 2026. Looking to build a beautiful neighborhood on sewer and water, come take a look. Details of approvals are in supplements so please ask your agent to share. Thoughtfully laid out lots can accommodate a myriad of homes. Upscale or as affordable as possible. Location is ideal with open space buffering first home from Illahee road, close to schools and shopping. 5 minutes from State Park, 10 minutes from Ferry, 10 minutes from Puget Sound Naval Shipyards and Bangor Submarine Base. Marketable timber could assist with access road and development. Not into a build? Got equip?Prepare for individual lot sales. Prime location across from waterfront homes.

Contact an agent

contact an agent

Yes, I would like more information. Please use and/or share my information with an independent agent affiliated with the CENTURY 21®  brand to contact me about my real estate needs. By clicking Send message, I request to be contacted by phone or text message and consent to being contacted by automated means. I understand that my consent to receive calls or texts is not a condition of purchasing any property, goods, or services. Alternatively, I understand that I can access real estate services by email or I can contact the agent myself.

If an independent agent affiliated with the CENTURY 21®  brand is not available in the area where I need assistance, I agree to be contacted by a real estate agent affiliated with another brand owned or licensed by Anywhere Real Estate (BHGRE® , Coldwell Banker® , Corcoran® , ERA® , Sotheby's International Realty® ).
 I acknowledge that I have read and agree to theTerms of useandPrivacy notice

Home facts

  • Listing ID #:2468261
  • Updated:April 25, 2026 at 11:03 AM

Structure and exterior

  • Lot area:2.31 Acres
  • Lot Features:Cul-De-Sac, Paved

Utilities

  • Water:Available
  • Sewer:In Street

Finances and disclosures

  • Price:$400,000
  • Tax amount:$2,221 (2024)
MLS LogoListings courtesy of Northwest MLS as distributed by MLS GRID. Based on information submitted to the MLS GRID as of April 25, 2026. All data is obtained from various sources and may not have been verified by broker or MLS GRID. Supplied Open House Information is subject to change without notice. All information should be independently reviewed and verified for accuracy. Properties may or may not be listed by the office/agent presenting the information. Listing information is provided for consumers' personal, non-commercial use, solely to identify prospective properties for potential purchase; all other use is strictly prohibited and may violate relevant federal and state law. Information deemed reliable but not guaranteed. Copyright © 2026 MLS GRID. All Rights Reserved.