1212 S 3rd Ave, Sequim, WA 98382

Local realty services provided by:CENTURY 21 Real Estate Center
Listed by: mathis jessen, scott f. cameron
Office: land advisors organization wa
MLS#:2455329
Source:NWMLS
1212 S 3rd Ave,Sequim, WA 98382
$4,500,000
  • 28.52 Acres
  • Lots / Land
  • Active

Price summary

  • Price:$4,500,000

About this home

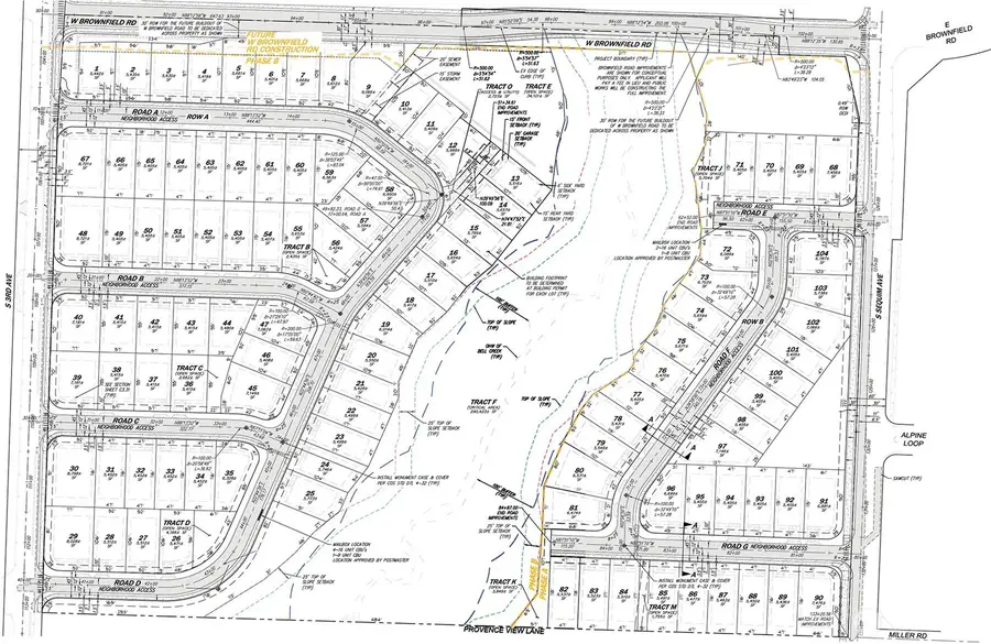
Builders: Bell Creek is a 28+ acre property in Sequim, Washington. The property is delivered with full engineering approval for a 104 single-family homesites (2 phases), ensuring a smooth path from acquisition to development! Most lots average 5,400 square feet, accommodating 35-foot-wide or larger homes and offering flexibility for various designs. Bell Creek runs through the property, naturally dividing it into two phases and creating desirable greenbelt lots. See the attached Offering Memorandum for additional information.

Contact an agent

contact an agent

Yes, I would like more information. Please use and/or share my information with an independent agent affiliated with the CENTURY 21®  brand to contact me about my real estate needs. By clicking Send message, I request to be contacted by phone or text message and consent to being contacted by automated means. I understand that my consent to receive calls or texts is not a condition of purchasing any property, goods, or services. Alternatively, I understand that I can access real estate services by email or I can contact the agent myself.

If an independent agent affiliated with the CENTURY 21®  brand is not available in the area where I need assistance, I agree to be contacted by a real estate agent affiliated with another brand owned or licensed by Anywhere Real Estate (BHGRE® , Coldwell Banker® , Corcoran® , ERA® , Sotheby's International Realty® ).
 I acknowledge that I have read and agree to theTerms of useandPrivacy notice

Home facts

  • Listing ID #:2455329
  • Updated:April 30, 2026 at 10:58 AM

Structure and exterior

  • Lot area:28.52 Acres
  • Lot Features:Paved

Schools

  • High school:Buyer To Verify
  • Middle school:Buyer To Verify
  • Elementary school:Buyer To Verify

Utilities

  • Water:In Street
  • Sewer:Available

Finances and disclosures

  • Price:$4,500,000
MLS LogoListings courtesy of Northwest MLS as distributed by MLS GRID. Based on information submitted to the MLS GRID as of April 30, 2026. All data is obtained from various sources and may not have been verified by broker or MLS GRID. Supplied Open House Information is subject to change without notice. All information should be independently reviewed and verified for accuracy. Properties may or may not be listed by the office/agent presenting the information. Listing information is provided for consumers' personal, non-commercial use, solely to identify prospective properties for potential purchase; all other use is strictly prohibited and may violate relevant federal and state law. Information deemed reliable but not guaranteed. Copyright © 2026 MLS GRID. All Rights Reserved.