Lot 11 Butternut Cir, Eagle River, WI 54521
Local realty services provided by:CENTURY 21 Affiliated
Lot 11 Butternut Cir,Eagle River, WI 54521
$58,938
- 1.79 Acres
- Lots / Land
- Active
Listed by: jeremy oberlander
Office: redman realty group, llc.
MLS#:215463
Source:WI_GNMLS
Price summary
- Price:$58,938
About this home
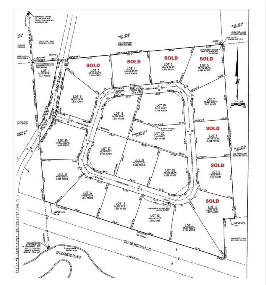
Lot 11 on Butternut Circle-Come and enjoy the peace and quiet of this new subdivision just west of Eagle River. Bring your building ideas to this 1.76 acre parcel, close to the Wisconsin River. Tucked away in the woods of Vilas County, in between St. Germain and Eagle River. There are plenty of nearby hiking trails to take in nature. Easy on, easy off snowmobile trail access. You don't have building plans yet and need ideas? No Problem! Seller will build to suit to your specifications. Natural gas, electric, and high speed cable internet are at the road. The lot has had a soil test performed and is suitable for a septic system. If lot 11 is not quite the right fit, contact your local REALTOR to see what other lots may be available close by!
Contact an agent
Home facts
- Listing ID #:215463
- Added:105 day(s) ago
- Updated:April 24, 2026 at 03:13 PM
Structure and exterior
- Lot area:1.79 Acres
- Lot Features:Buildable, Private, Rural Lot, Secluded, Wooded
Schools
- High school:VI Northland Pines
- Middle school:VI Northland Pines
- Elementary school:VI Northland Pines-ER
Finances and disclosures
- Price:$58,938
New listings near Lot 11 Butternut Cir
- New
$158,500Active2 beds 1 baths756 sq. ft.5932 Robin Ln, Eagle River, WI 54521
MLS# 216634Listed by: SHOREWEST - EAGLE RIVER - New
$58,000Active2 AcresLot 3 Bloom Rd, Eagle River, WI 54521
MLS# 216622Listed by: REDMAN REALTY GROUP, LLC - New
$64,000Active2.66 AcresLot 7 Bloom Rd, Eagle River, WI 54521
MLS# 216623Listed by: REDMAN REALTY GROUP, LLC - Open Sat, 12 to 2pmNew
$485,000Active2 beds 2 baths1,770 sq. ft.3570 Deer Trail Ln, Eagle River, WI 54521
MLS# 216616Listed by: SHOREWEST - EAGLE RIVER - Open Sun, 12 to 2pmNew
$569,900Active3 beds 2 baths2,185 sq. ft.4610 Tanglewood Dr, Eagle River, WI 54521
MLS# 216610Listed by: SHOREWEST - EAGLE RIVER - New
$499,999Active2 beds 3 baths1,895 sq. ft.1174 Zeman Rd, Eagle River, WI 54521
MLS# 216608Listed by: REDMAN REALTY GROUP, LLC - New
$719,000Active3 beds 1 baths1,566 sq. ft.3171 Carpenter Lake Rd N, Eagle River, WI 54521
MLS# 216606Listed by: SHOREWEST - EAGLE RIVER
$68,000Pending5.32 Acres7972 CHAIN LAKE ROAD, Eagle River, WI 54521
MLS# 22601579Listed by: NORTH CENTRAL REAL ESTATE BROKERAGE, LLC- New
$350,000Active1 beds 2 baths974 sq. ft.1972 Wild Eagle Ln #103, Eagle River, WI 54521
MLS# 216594Listed by: RE/MAX PROPERTY PROS - New
$449,000Active3 beds 2 baths1,260 sq. ft.1972 Wild Eagle Ln #104, Eagle River, WI 54521
MLS# 216597Listed by: ELIASON REALTY - EAGLE RIVER