Address Withheld By Seller, Evanston, WY 82930
Local realty services provided by:CENTURY 21 Wasatch Life Realty
Address Withheld By Seller,Evanston, WY 82930
$1,250,000
- 16.31 Acres
- Lots / Land
- Active
Listed by: cody ferrin
Office: apex real estate, llc.
MLS#:2153699
Source:SL
Sorry, we are unable to map this address
Price summary
- Price:$1,250,000
About this home
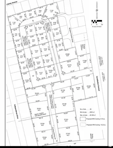
16+ Acre High- and Medium-Density Residential Development Opportunity in Evanston, WY This 16+ acre parcel is zoned for high- and medium-density residential development, presenting a premier investment opportunity. Conveniently located 50 minutes from Park City, 65 minutes from Salt Lake City, and 65 minutes from Ogden, the property offers excellent proximity to key regional hubs. The site accommodates a diverse range of residential projects, including single-family homes, twin homes, and multi-family apartments. Zoning requirements are as follows: High-Density Residential: Minimum 2,000 sq. ft. of open space per unit. Medium-Density Residential: Minimum 3,000 sq. ft. of open space per unit. A proposed subdivision plan is available (see attached image). While access roads must remain fixed, lot lines can be reconfigured to meet buyer specifications, providing flexibility for customized development. The subdivision approval process is scheduled to begin soon, after which the property's value is expected to increase. Early investment allows buyers to secure the current pricing and tailor the project to their vision. Buyer or Buyer's agent to verify all info....
Contact an agent
Home facts
- Listing ID #:2153699
- Added:2 day(s) ago
- Updated:April 30, 2026 at 11:08 AM
Structure and exterior
- Lot area:16.31 Acres
- Lot Features:Terrain: Flat
Schools
- High school:None/Other
- Middle school:None/Other
- Elementary school:None/Other
Finances and disclosures
- Price:$1,250,000
- Tax amount:$2,358
New listings near 82930
- New
$329,500Active3 beds 2 baths2,062 sq. ft.425 7th Street, Evanston, WY 82930
MLS# 20261975Listed by: APEX REAL ESTATE, LLC - New
$399,900Active4 beds 2 baths1,702 sq. ft.1425 Center Street, Evanston, WY 82930
MLS# 20261962Listed by: NEXTHOME REALTY CONNECTION - New
$415,000Active6 beds 3 baths2,904 sq. ft.215 Loop Road, Evanston, WY 82930
MLS# 20261947Listed by: NEXTHOME REALTY CONNECTION - New
$429,000Active5 beds 1 baths2,580 sq. ft.324 Emerson Avenue, Evanston, WY 82930
MLS# 20261936Listed by: APEX REAL ESTATE, LLC - New
$394,900Active5 beds 2 baths2,118 sq. ft.146 Apache, Evanston, WY 82930
MLS# 20261930Listed by: NEXTHOME REALTY CONNECTION - New
$1,250,000Active16.31 Acres16.31 acres on Wastach Road, Evanston, WY 82930
MLS# 20261926Listed by: APEX REAL ESTATE, LLC - New
$359,000Active5 beds 2 baths2,472 sq. ft.123 Colonial Avenue, Evanston, WY 82930
MLS# 20261886Listed by: APEX REAL ESTATE, LLC - New
$395,000Active94 AcresTract 72 and 70 High Point Ranches Phase II, Evanston, WY 82930
MLS# 20261866Listed by: REAL BROKER, LLC - New
$160,000Active3 beds 1 baths1,638 sq. ft.44 Incline Dr, Evanston, WY 82930
MLS# 20261856Listed by: APEX REAL ESTATE, LLC