1222 Drummonds Point Road, Edenton, NC 27932
Local realty services provided by:CENTURY 21 Triangle Group
1222 Drummonds Point Road,Edenton, NC 27932
$205,000
- - Acres
- Lots / Land
- Sold
Listed by: fraser kelly
Office: perry & co sotheby's international realty
MLS#:100542139
Source:NC_CCAR
Sorry, we are unable to map this address
Price summary
- Price:$205,000
About this home
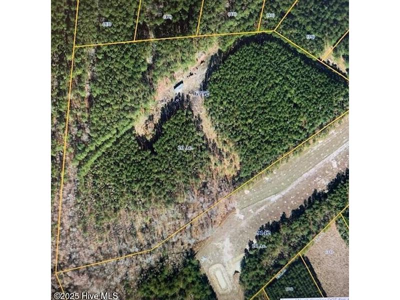
Twenty Acres of land outside the city limits of Edenton, NC. Mostly wooded with five acres of cleared land, this parcel is a unique opportunity to build a home with total privacy. There is a recorded easement off Drummonds Point Road to access the land. Gravel and dirt road lead you back to a four acre clearing that has been leveled for a building site. Horses, hunting and cattle are allowed on this land. There is a survey of the parcel as it is an irregular shape. Call for a showing today!
Contact an agent
Home facts
- Listing ID #:100542139
- Added:125 day(s) ago
- Updated:March 25, 2026 at 05:47 PM
Structure and exterior
- Lot Features:Dead End, Land Locked, Partially Cleared, Wooded
Schools
- High school:John A. Holmes High
- Middle school:Chowan Middle
- Elementary school:White Oak/D F Walker
Finances and disclosures
- Price:$205,000
New listings near 1222 Drummonds Point Road
- New
$369,000Active3 beds 3 baths1,493 sq. ft.416 Captains Cove #Unit C, Edenton, NC 27932
MLS# 100562051Listed by: PERRY & CO SOTHEBY'S INTERNATIONAL REALTY
$263,990Pending3 beds 3 baths1,326 sq. ft.135 Bridgetowne Avenue, Edenton, NC 27932
MLS# 10625855Listed by: BHHS RW Towne Realty- New
$449,000Active3 beds 2 baths2,202 sq. ft.372 Schooner Landing Drive, Edenton, NC 27932
MLS# 100561347Listed by: PERRY & CO SOTHEBY'S INTERNATIONAL REALTY - New
$279,000Active3 beds 1 baths1,318 sq. ft.1643 Ocean Highway S, Edenton, NC 27932
MLS# 100561206Listed by: CAROLINAEAST REAL ESTATE
$300,525Pending3 beds 3 baths1,434 sq. ft.231 Winborne Lane, Edenton, NC 27932
MLS# 10625558Listed by: BHHS RW Towne Realty
$306,650Pending3 beds 2 baths1,434 sq. ft.131 Bridgetowne Avenue, Edenton, NC 27932
MLS# 10625670Listed by: BHHS RW Towne Realty- New
$429,000Active3 beds 3 baths2,061 sq. ft.1211 Haughton Road, Edenton, NC 27932
MLS# 100561130Listed by: LEGACY PREMIER REAL ESTATE, LLC - New
$449,000Active2 beds 2 baths1,413 sq. ft.410 Phillips Street, Edenton, NC 27932
MLS# 100560990Listed by: PERRY & CO SOTHEBY'S INTERNATIONAL REALTY - New
$39,900Active2.29 Acres312 Plumtree Circle, Edenton, NC 27932
MLS# 100560470Listed by: CAROLINAEAST REAL ESTATE - New
$125,000Active2 beds 1 baths851 sq. ft.914 Johnston Street, Edenton, NC 27932
MLS# 100560382Listed by: WELCOME HOME REALTY NC