304 Pownal Road, Freeport, ME 04032
Local realty services provided by:CENTURY 21 Barbara Patterson
304 Pownal Road,Freeport, ME 04032
$325,000
- 34.58 Acres
- Lots / Land
- Active
Listed by: matthew chamberlain
Office: regency realty group
MLS#:1639264
Source:ME_MREIS
Price summary
- Price:$325,000
About this home
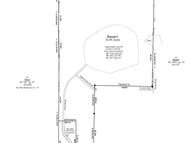
34.58 acres with 401 feet of road front. Currently the property has a working septic system, drilled well, and power on site in a location that was formally a single wide mobile home. Lot can be split in August 2026. Land features consist of small pond near, level and sloping land, woods and open area. Property has direct access to snow mobile trails. Great for hunting or raising horses. Located in a couple minutes to down town Freeport. Many uses including farming, horse riding, zone allows for:
1. Single-Family Dwelling (Including mobile and modular homes)
2. Duplex Dwelling
3. Reserved
4. Agriculture {Amended, Effective 06/18/13}
5. Agritourism Activity {Amended, Effective 06/18/13}
6. Timber Harvesting: Many conditional uses also allowed by the city
Minimum lot size is 2.5 acres and 200 feet of frontage for a single family and 3 acres for a duplex. The middle of the property has a capped landfill that is City and DEP maintained.
Contact an agent
Home facts
- Listing ID #:1639264
- Updated:February 10, 2026 at 04:34 PM
Structure and exterior
- Lot area:34.58 Acres
- Lot Features:Near Shopping, Near Town, Near Turnpike/Interstate, Rolling/Sloping, Wooded
Utilities
- Water:Private, Well
- Sewer:Private Sewer
Finances and disclosures
- Price:$325,000
- Tax amount:$4,114 (2024)
New listings near 304 Pownal Road
- New
$549,000Active2 beds 2 baths1,100 sq. ft.27 Youngs Lane #27, Freeport, ME 04032
MLS# 1652712Listed by: RE/MAX SHORELINE - Open Sat, 10 to 11:30amNew
$575,000Active2 beds 1 baths1,260 sq. ft.5 Holbrook Street, Freeport, ME 04032
MLS# 1652619Listed by: LEGACY PROPERTIES SOTHEBY'S INTERNATIONAL REALTY
$498,800Active3 beds 2 baths2,786 sq. ft.1 Wardtown Road, Freeport, ME 04032
MLS# 1651897Listed by: HEARTH & KEY REALTY
$849,000Pending3 beds 2 baths3,256 sq. ft.45 Beech Hill Road, Freeport, ME 04032
MLS# 1650733Listed by: LAER
$130,000Pending2.51 Acres67 Farmview Lane, Freeport, ME 04032
MLS# 1649624Listed by: KELLER WILLIAMS REALTY
$839,000Pending4 beds 3 baths2,544 sq. ft.1595 U.s. 1 Route, Freeport, ME 04032
MLS# 1649610Listed by: PORTSIDE REAL ESTATE GROUP
$639,000Active3 beds 3 baths2,665 sq. ft.20 Harvest Ridge Road #23, Freeport, ME 04032
MLS# 1648846Listed by: KELLER WILLIAMS REALTY
$355,000Active2 beds 2 baths967 sq. ft.15 Linwood Road #15, Freeport, ME 04032
MLS# 1648783Listed by: KELLER WILLIAMS REALTY
$1,379,000Pending4 beds 5 baths4,274 sq. ft.5 Arrowhead Ridge Road, Freeport, ME 04032
MLS# 1648679Listed by: PORTSIDE REAL ESTATE GROUP
$995,000Active2 beds 2 baths2,104 sq. ft.58 Maquoit Drive, Freeport, ME 04032
MLS# 1647712Listed by: PORTSIDE REAL ESTATE GROUP