TBD Reams Road, Gentry, AR 72734
Local realty services provided by:CENTURY 21 Action Realty
Listed by: the limbird team
Office: limbird real estate group
MLS#:1342951
Source:AR_NWAR
Price summary
- Price:$200,000
About this home
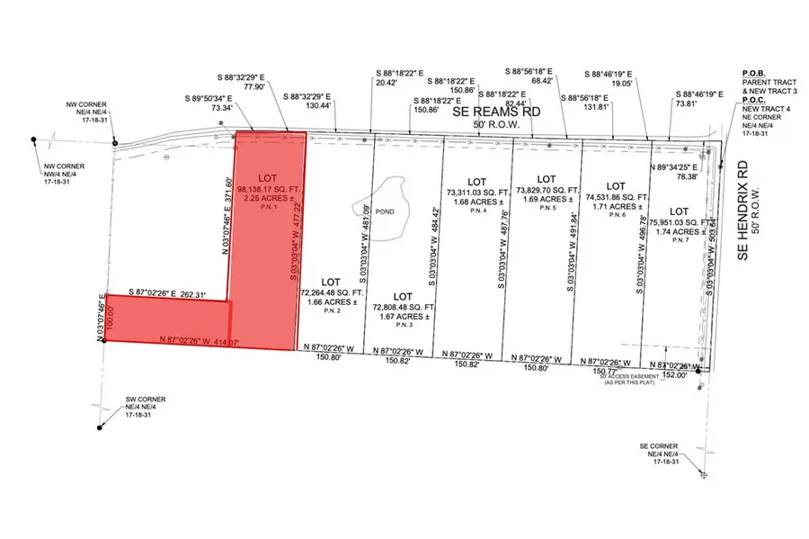
Just 2 miles from XNA Airport, this 2.25-acre parcel sits at the southwest corner of Hendrix and Reams Road in Gentry, offering paved road frontage. Please note: a lot split is currently in progress on the larger 12.4-acre tract, which is also available to purchase as a whole. This listing is specifically for the L-shaped lot as identified in the attached survey and shown in the listing photos. The land is cleared and gently rolling, with electric, gas, and public water at the street — and the property has already perked for septic. Whether you're building your dream home or an investment property, this is a turnkey-ready lot in one of NW Arkansas's fastest-growing corridors. Refer to survey for exact boundaries.
Contact an agent
Home facts
- Listing ID #:1342951
- Added:4 day(s) ago
- Updated:April 20, 2026 at 02:14 PM
Structure and exterior
- Lot area:1.74 Acres
- Lot Features:Cleared, Not In Subdivision, Rolling Slope, Stream/Creek
Utilities
- Water:Public
- Sewer:Septic Needed
Finances and disclosures
- Price:$200,000
- Tax amount:$616
New listings near TBD Reams Road
- New
$289,000Active3 beds 2 baths1,532 sq. ft.284 Miles Avenue, Gentry, AR 72734
MLS# 1342403Listed by: BASSETT MIX AND ASSOCIATES, INC - New
$7,000,000Active3 beds -- baths2,400 sq. ft.13161 Reams Road, Gentry, AR 72734
MLS# 1342199Listed by: CRYE-LEIKE REALTORS, GENTRY
$198,000Pending11.04 AcresBloomfield North Road, Gentry, AR 72734
MLS# 1343057Listed by: CRYE-LEIKE REALTORS, GENTRY- New
$1,050,000Active12.4 AcresTBD Reams Road, Gentry, AR 72734
MLS# 1342852Listed by: LIMBIRD REAL ESTATE GROUP - New
$290,000Active4 beds 2 baths1,638 sq. ft.812 Vista Street, Gentry, AR 72734
MLS# 1340675Listed by: UPTOWN REAL ESTATE - New
$759,000Active5 beds 3 baths3,183 sq. ft.20703 Safari Road, Gentry, AR 72734
MLS# 1342564Listed by: CRYE-LEIKE REALTORS, GENTRY - New
$370,000Active4 beds 3 baths2,351 sq. ft.224 Ryder Street, Gentry, AR 72734
MLS# 1342768Listed by: NWA RESIDENTIAL REAL ESTATE - New
$370,000Active4 beds 3 baths2,351 sq. ft.313 Ryder Street, Gentry, AR 72734
MLS# 1342778Listed by: NWA RESIDENTIAL REAL ESTATE - New
$120,000Active5.01 AcresBloomfield (tract 1), Gentry, AR 72734
MLS# 1342549Listed by: REALTY MART