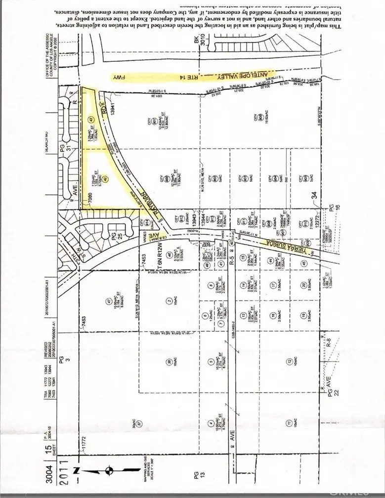
0 Vac/rayburn Rd/vic Tierra Subi, Palmdale, CA 93550

Local realty services provided by:CENTURY 21 Lois Lauer Realty
0 Vac/rayburn Rd/vic Tierra Subi,Palmdale, CA 93550
$675,000
  • 7.15 Acres
  • Lots / Land
  • Active
Listed by: maxi case
Office: the real estate place
MLS#:SR25188226
Source:CRMLS

Price summary

  • Price:$675,000

About this home

THIS IS A RARE OPPORTUNITY. Over 10 Acres Zoned COMMERCIAL in the city of Palmdale AND RIGHT ON THE FREEWAY! Two Separate Contiguous Parcels being sold together. Zoned RC, Regional Commercial and Suitable for Retail, Office, Hotel, Mini-Storage, Gas Station, Car Wash and more. Buyer to confirm with the City of Palmdale to confirm what uses will be allowed. Not only Adjacent to AV Freeway but also to Residential Development to the north and west. There are Block walls on two sides. All Utilities available. Close to Major Shopping Outlets and Community Shopping Centers, the Palmdale Business Park and the Palmdale Regional Hospital. Lots of development options. Don't miss this rare opportunity. APNs 3004-015-042 and 043.

Contact an agent

contact an agent

Yes, I would like more information. Please use and/or share my information with an independent agent affiliated with the CENTURY 21®  brand to contact me about my real estate needs. By clicking Send message, I request to be contacted by phone or text message and consent to being contacted by automated means. I understand that my consent to receive calls or texts is not a condition of purchasing any property, goods, or services. Alternatively, I understand that I can access real estate services by email or I can contact the agent myself.

If an independent agent affiliated with the CENTURY 21®  brand is not available in the area where I need assistance, I agree to be contacted by a real estate agent affiliated with another brand owned or licensed by Anywhere Real Estate (BHGRE® , Coldwell Banker® , Corcoran® , ERA® , Sotheby's International Realty® ).
 I acknowledge that I have read and agree to theTerms of useandPrivacy notice

Home facts

  • Listing ID #:SR25188226
  • Added:897 day(s) ago
  • Updated:February 21, 2026 at 11:45 AM

Structure and exterior

  • Lot area:7.15 Acres

Finances and disclosures

  • Price:$675,000
The information being provided by California Regional MLS (Southern California) is for the consumer's personal, non-commercial use and may not be used for any purpose other than to identify prospective properties consumer may be interested in purchasing. Any information relating to real estate for sale referenced on this web site comes from the Internet Data Exchange (IDX) program of the California Regional MLS (Southern California). CENTURY 21 Lois Lauer Realty is not a Multiple Listing Service (MLS), nor does it offer MLS access. This website is a service of CENTURY 21 Lois Lauer Realty, a broker participant of California Regional MLS (Southern California). This web site may reference real estate listing(s) held by a brokerage firm other than the broker and/or agent who owns this web site. The accuracy of all information, regardless of source, including but not limited to open house information, square footages and lot sizes, is deemed reliable but not guaranteed and should be personally verified through personal inspection by and/or with the appropriate professionals. The data contained herein is copyrighted by California Regional MLS (Southern California) and is protected by all applicable copyright laws. Any unauthorized dissemination of this information is in violation of copyright laws and is strictly prohibited. Copyright 2021 California Regional MLS (Southern California). All rights reserved.