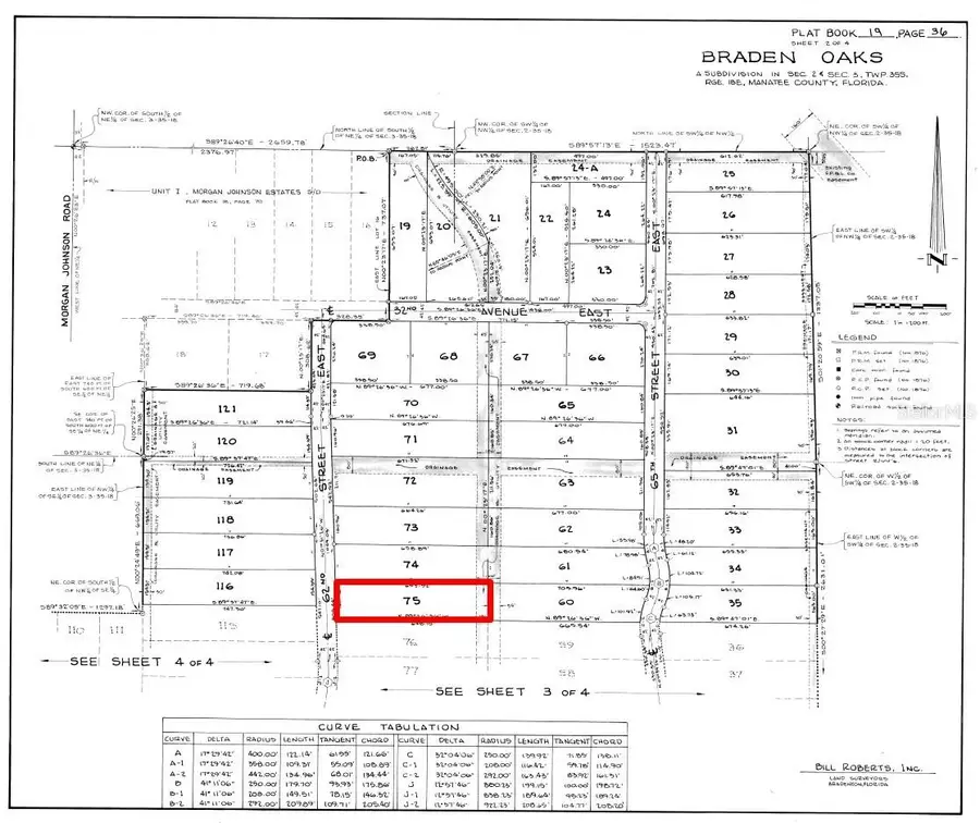
3555 62nd Street E, Bradenton, FL 34208
Local realty services provided by:CENTURY 21 North East
3555 62nd Street E,Bradenton, FL 34208
$294,000
- 240.18 Acres
- Lots / Land
- Pending
Listed by: jarrod luparell
Office: wagner realty
MLS#:A4681140
Source:MFRMLS
Price summary
- Price:$294,000
About this home
Location, Location, Location! Exceptional 2.4-acre wooded estate lot in highly sought-after Braden Oaks — no CDD, no HOA, and no deed restrictions, offering rare flexibility and privacy in a park-like setting. Unique zoning, Zoned A-1 and ideal for horses, chickens, hobby farms, car collectors, or those who want room for a workshop, guest house, barn, horse paddock, RV/boat storage, or other outbuildings. Mature oak trees and abundant canopy allow you to preserve existing specimen trees and landscape beautifully while creating private outdoor living areas. The property blends tranquil country living with immediate access to modern conveniences: minutes to SR-70, SR-64 and I-75; close to Lakewood Ranch, UTC Mall, SRQ International Airport, Lowe's, Publix, Whole Foods, restaurants, medical facilities and schools. Easy access to Costco, Sams club, dog parks, boat launches (including Jiggs Landing), world-class golf, and pristine Gulf beaches, approximately 16 miles to Anna Maria Island and about 30 minutes to Siesta Key, Lido, Bradenton Beach, Turtle Bay and other famous beaches. Short drives to Sarasota, Bradenton, St. Petersburg and Tampa; Tampa Bay Rays and Tampa Bay Rays and Pittsburgh Pirates Spring training facilities, and Pittsburgh Pirates minor league team games. Top rated AAA facilities nearby. Three recent sales of homes with similar acreage in the area exceeded $1,000,000, underscoring the rarity and value of this offering. As you approach the property you’ll notice a well-maintained, colorful landscape and a sense of seclusion; can build a warehouse with easy access via newly expanded 44th Ave E. This is more than a lot, it’s a lifestyle: peaceful, private, and perfectly positioned for country charm with urban convenience. Almost the entire lot sits in Flood Zone X, which is not a flood zone and is fully buildable. Only a very small strip of land—just a few feet—near the natural drainage area falls within Zone A. The primary building area, driveway locations, and usable acreage are all in Zone X. The county water line runs along the property, making it easy to connect to public water. A must-see! Schedule your private showing today. Survey available!...
Contact an agent
Home facts
- Listing ID #:A4681140
- Added:60 day(s) ago
- Updated:April 05, 2026 at 07:59 AM
Structure and exterior
- Lot area:240.18 Acres
- Lot Features:Buildable, Oversized, Rural, Wooded
- Levels:1 Story
Schools
- High school:Braden River High
- Middle school:Carlos E. Haile Middle
- Elementary school:William H. Bashaw Elementary
Utilities
- Water:Water Available
- Sewer:Septic Needed
Finances and disclosures
- Price:$294,000
Features and amenities
- Amenities:BB/HS Internet Available, Cable Available, Electricity Available
- Pool features:Public Pool
New listings near 3555 62nd Street E
- New
$164,000Active0.16 Acres1519 Manatee Avenue E, BRADENTON, FL 34208
MLS# A4688878Listed by: KELLER WILLIAMS ON THE WATER - New
$108,000Active2 beds 1 baths733 sq. ft.5942 Welcome Road #H24, BRADENTON, FL 34207
MLS# A4687686Listed by: COLDWELL BANKER REALTY - New
$364,900Active2 beds 2 baths1,462 sq. ft.6504 Heritage Lane #99, BRADENTON, FL 34209
MLS# A4688807Listed by: COLDWELL BANKER REALTY - New
$149,000Active2 beds 2 baths925 sq. ft.2727 75th Street W #7A14, BRADENTON, FL 34209
MLS# A4688853Listed by: EXIT KING REALTY - New
$224,900Active3 beds 2 baths1,032 sq. ft.4303 79th Street W, BRADENTON, FL 34209
MLS# TB8493982Listed by: HOMECOIN.COM - New
$159,900Active2 beds 2 baths1,144 sq. ft.315 30th Avenue W #B411, BRADENTON, FL 34205
MLS# A4687766Listed by: WAGNER REALTY - New
$329,900Active2 beds 1 baths1,234 sq. ft.2811 33rd Avenue W, BRADENTON, FL 34205
MLS# A4688318Listed by: PREFERRED SHORE LLC - New
$515,000Active3 beds 2 baths1,386 sq. ft.5211 24th Avenue Drive W, BRADENTON, FL 34209
MLS# TB8493637Listed by: LPT REALTY, LLC - New
$259,900Active2 beds 2 baths1,398 sq. ft.7532 Marsh Orchid Circle #201, BRADENTON, FL 34203
MLS# A4688783Listed by: WHITE SANDS REALTY GROUP FL - New
$609,000Active12 beds 8 baths2,280 sq. ft.2311 54th Avenue Drive W, BRADENTON, FL 34207
MLS# A4688215Listed by: EXP REALTY LLC