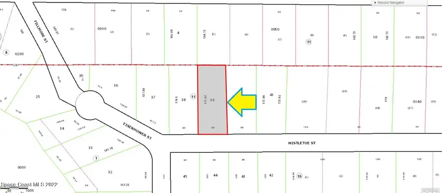
2110 Mistletoe Street, Inverness, FL

Local realty services provided by:CENTURY 21 Lighthouse Realty
2110 Mistletoe Street,Inverness, FL
$25,000
  • 0.34 Acres
  • Lots / Land
  • Active
Listed by: philip l rotondo
Office: coldwell banker realty
MLS#:929009
Source:FL_SPACE

Price summary

  • Price:$25,000

About this home

0.34 acre residential lot available in Inverness Acres Unit 2 in Inverness, Citrus County. There is no current road access. It is located east of Citrus Lake off of E. Dawson Drive at latitude 28.857947 and longitude -82.357706. Owner has multiple lots, if interested in bulk sale.

Contact an agent

contact an agent

Yes, I would like more information. Please use and/or share my information with an independent agent affiliated with the CENTURY 21®  brand to contact me about my real estate needs. By clicking Send message, I request to be contacted by phone or text message and consent to being contacted by automated means. I understand that my consent to receive calls or texts is not a condition of purchasing any property, goods, or services. Alternatively, I understand that I can access real estate services by email or I can contact the agent myself.

If an independent agent affiliated with the CENTURY 21®  brand is not available in the area where I need assistance, I agree to be contacted by a real estate agent affiliated with another brand owned or licensed by Anywhere Real Estate (BHGRE® , Coldwell Banker® , Corcoran® , ERA® , Sotheby's International Realty® ).
 I acknowledge that I have read and agree to theTerms of useandPrivacy notice

Home facts

  • Listing ID #:929009
  • Added:1051 day(s) ago

Rooms and interior

  • Kitchen Description:appl_

Structure and exterior

  • Lot area:0.34 Acres
  • Lot Features:Wooded

Finances and disclosures

  • Price:$25,000
  • Tax amount:$38 (2021)

Features and amenities

  • Laundry features:appl_
Information deemed reliable but not guaranteed. Information is provided, in part, by Brevard MLS. This information being provided is for consumer's personal, non-commercial use and may not be used for any other purpose other than to identify prospective properties consumers may be interested in purchasing.