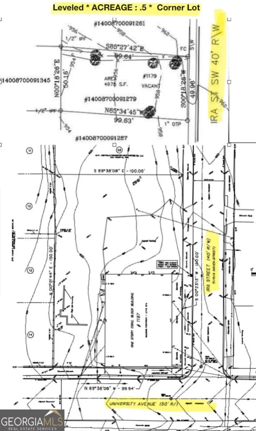
1187 Ira Street Sw, Atlanta, GA 30310
Local realty services provided by:CENTURY 21 Adams-Harvey & Associates
1187 Ira Street Sw,Atlanta, GA 30310
$649,900
- 0.35 Acres
- Lots / Land
- Active
Listed by: robby caban
Office: robby caban realty
MLS#:10660057
Source:METROMLS
Price summary
- Price:$649,900
About this home
Prior existing structure removed. Leveled corner lot in high traffic area across from ATL Beltline (SWATL) trail and near the interstate. Across from Pittsburgh Yards Business incubator. GREAT Franchise location! Amazing Location - Pittsburgh Community - Corner commercial lot across from SWATL Beltine, Pittsburgh Yards /Business incubator and future residential development site. Off University ave - easy access to I 75/85 - downtown ATL, Tricities, Hartfield Jackson Airport. Tyler Perry Studies, Lee and White. Great Franchise opportunity with heavy 24 hour traffic. . Accessibility: Easy access to I-75/85, downtown Atlanta, the Tri-Cities, Hartsfield-Jackson Atlanta International Airport. Zoned C1, allowing for most commercial uses. Lot Size: 10,000 square feet. Traffic: *** High traffic area with an average of 14,000 vehicles daily *** Investment Potential: The property is located in an Opportunity Zone and is considered a prime location for investors interested in equitable development in historically underinvested neighborhoods. In Atlanta, C-1 zoning is designated for neighborhood and community-oriented retail and service activities, as well as complementary non-commercial uses. Key regulations for C-1 zoned properties: Permitted Uses: Retail and service activities, including but not limited to: commercial laundry, convenience stores, gas stations, personal services, small retail facilities (under 10,000 sq ft), restaurants, bakeries, bars, pubs, taverns, and food trucks/push carts. Offices, including general offices, small offices, and scientific/agricultural research offices....
Contact an agent
Home facts
- Listing ID #:10660057
- Updated:March 30, 2026 at 10:47 AM
Structure and exterior
- Lot area:0.35 Acres
- Lot Features:Corner Lot
Schools
- High school:Other
- Middle school:Other
- Elementary school:Other
Finances and disclosures
- Price:$649,900
- Tax amount:$5,679 (22)
New listings near 1187 Ira Street Sw
- New
$819,000Active5 beds 5 baths1369 Jody Lane Ne, Atlanta, GA 30329
MLS# 10720574Listed by: The Goldin Group Real Estate - New
$259,000Active1 beds 1 baths764 sq. ft.1101 Juniper Street Ne #APT 106, Atlanta, GA 30309
MLS# 10720576Listed by: Keller Williams Realty Atl. Partners - Coming Soon
$1,450,000Coming Soon3 beds 4 baths2881 Peachtree Road Ne #2201, Atlanta, GA 30305
MLS# 10720587Listed by: Ansley RE | Christie's Int'l RE - New
$264,900Active1 beds 1 baths743 sq. ft.400 W Peachtree Street Nw #2615, Atlanta, GA 30308
MLS# 7743484Listed by: NORTHGROUP REAL ESTATE - New
$228,900Active1 beds 1 baths633 sq. ft.3040 Peachtree Road Nw #1310, Atlanta, GA 30305
MLS# 10720557Listed by: NorthGroup Real Estate Inc
$2,995,000Active7 beds 9 baths10,037 sq. ft.1005 Heards Ferry Road, Atlanta, GA 30328
MLS# 7721740Listed by: BEACHAM AND COMPANY- New
$515,000Active5 beds 4 baths2746 Dale Creek Drive Nw, Atlanta, GA 30318
MLS# 10720509Listed by: Keller Williams Realty Atl. Partners - Coming Soon
$430,000Coming Soon2 beds 2 baths951 Glenwood Avenue Se #1106, Atlanta, GA 30316
MLS# 10720540Listed by: Keller Williams Atlanta Classic - New
$200,000Active3 beds 2 baths1,472 sq. ft.2700 Head Road Sw, Atlanta, GA 30311
MLS# 10720495Listed by: Keller Williams Realty Buckhead - New
$159,900Active3 beds 1 baths1,100 sq. ft.460 Dot Drive, Atlanta, GA 30349
MLS# 10720497Listed by: Keller Williams Realty Buckhead