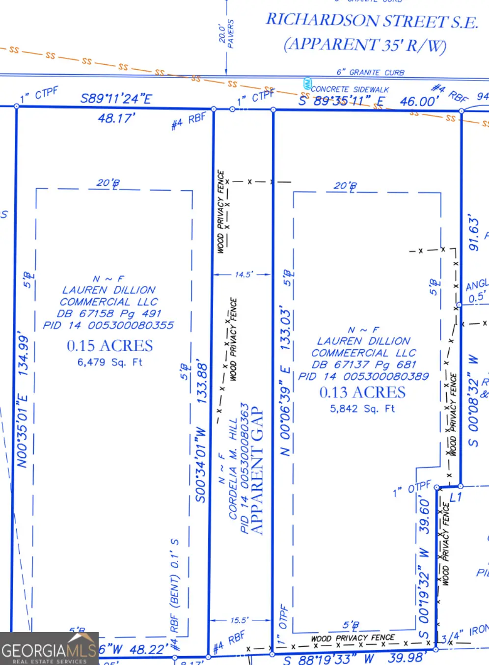
175 Richardson Street Se, Atlanta, GA 30312
Local realty services provided by:CENTURY 21 Adams-Harvey & Associates
175 Richardson Street Se,Atlanta, GA 30312
$400,000
- 0.13 Acres
- Lots / Land
- Active
Listed by: jennifer butler
Office: northgroup real estate inc
MLS#:10714438
Source:METROMLS
Price summary
- Price:$400,000
About this home
Exceptional opportunity to acquire two adjacent intown lots to be sold together at 165 & 175 Richardson St SE in Atlanta's Summerhill neighborhood. These buildable parcels offer flexibility for a buyer looking to hold, build now, or plan for future development. Located in one of Atlanta's oldest and most evolving neighborhoods, Summerhill offers a rare blend of historic character, neighborhood energy, and proximity to Downtown, Georgia State, Center Parc Stadium, and the growing Georgia Avenue corridor with its mix of dining, retail, and redevelopment activity. A strong opportunity for builders, investors, or buyers seeking a strategic in-town land position. Both lots must be purchased together.
Contact an agent
Home facts
- Listing ID #:10714438
- Updated:March 30, 2026 at 10:47 AM
Structure and exterior
- Lot area:0.13 Acres
- Lot Features:City Lot
Schools
- High school:MH Jackson Jr
- Middle school:King
- Elementary school:Parkside
Utilities
- Water:Public, Water Available
- Sewer:Public Sewer, Sewer Available
Finances and disclosures
- Price:$400,000
- Tax amount:$1,860 (24)
New listings near 175 Richardson Street Se
- New
$819,000Active5 beds 5 baths1369 Jody Lane Ne, Atlanta, GA 30329
MLS# 10720574Listed by: The Goldin Group Real Estate - New
$259,000Active1 beds 1 baths764 sq. ft.1101 Juniper Street Ne #APT 106, Atlanta, GA 30309
MLS# 10720576Listed by: Keller Williams Realty Atl. Partners - Coming Soon
$1,450,000Coming Soon3 beds 4 baths2881 Peachtree Road Ne #2201, Atlanta, GA 30305
MLS# 10720587Listed by: Ansley RE | Christie's Int'l RE - New
$264,900Active1 beds 1 baths743 sq. ft.400 W Peachtree Street Nw #2615, Atlanta, GA 30308
MLS# 7743484Listed by: NORTHGROUP REAL ESTATE - New
$228,900Active1 beds 1 baths633 sq. ft.3040 Peachtree Road Nw #1310, Atlanta, GA 30305
MLS# 10720557Listed by: NorthGroup Real Estate Inc
$2,995,000Active7 beds 9 baths10,037 sq. ft.1005 Heards Ferry Road, Atlanta, GA 30328
MLS# 7721740Listed by: BEACHAM AND COMPANY- New
$515,000Active5 beds 4 baths2746 Dale Creek Drive Nw, Atlanta, GA 30318
MLS# 10720509Listed by: Keller Williams Realty Atl. Partners - Coming Soon
$430,000Coming Soon2 beds 2 baths951 Glenwood Avenue Se #1106, Atlanta, GA 30316
MLS# 10720540Listed by: Keller Williams Atlanta Classic - New
$200,000Active3 beds 2 baths1,472 sq. ft.2700 Head Road Sw, Atlanta, GA 30311
MLS# 10720495Listed by: Keller Williams Realty Buckhead - New
$159,900Active3 beds 1 baths1,100 sq. ft.460 Dot Drive, Atlanta, GA 30349
MLS# 10720497Listed by: Keller Williams Realty Buckhead