529 Whitehall Street Sw, Atlanta, GA 30303
Local realty services provided by:CENTURY 21 The Avenues
529 Whitehall Street Sw,Atlanta, GA 30303
$4,500,000
- 1.3 Acres
- Lots / Land
- Active
Listed by: debra dent
Office: ansley real estate | christie's international real estate
MLS#:7740761
Source:FIRSTMLS
Price summary
- Price:$4,500,000
About this home
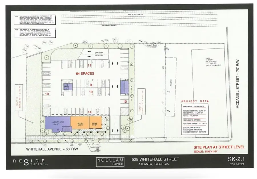
Approved 10-Story Mixed-Use Development Opportunity in the Heart of Atlanta
Rare opportunity to acquire a fully designed and approved development site in one of Atlanta’s fastest-growing urban corridors. Located on Whitehall Avenue near McDaniel Street, the property is positioned minutes from Mercedes-Benz Stadium, State Farm Arena, Centennial Yards, Georgia State University, and downtown Atlanta employment centers.
The site has been designed and approved for Noellam Tower, a 10-story mixed-use residential development featuring 151 residential units, ground-floor retail, structured parking, and amenity space.
Development Highlights:
• Land Area: Approximately 0.97 acres
• Approved Building: 10-story residential tower
• Total Units: 151 residential units
• Total Building Size: Approximately 156,200 SF
Unit Mix
• 2 Bedroom Units: 8
• 1 Bedroom Units: 111
• Studio / Efficiency Units: 32
Commercial & Amenities:
• Ground Floor Retail: Approximately 2,000 SF
• Amenity Area: Approximately 1,800 SF
Parking:
• 131 structured parking spaces
• Parking located within the podium and deck levels
Concept Design Features:
• Modern mid-rise residential tower with balconies
• Structured parking integrated into the building
• Street-level retail activating Whitehall Avenue
• Interior courtyard and amenity space
• Easy vehicular access via McDaniel Street
Location Advantages:
• Minutes from Mercedes-Benz Stadium
• Near Centennial Yards redevelopment
• Close to Georgia State University
• Easy access to I-75 / I-85 connector
• Walkable urban infill location
Ideal For:
• Multifamily developers
• Mixed-use developers
• Opportunity zone / urban infill investors
• Institutional multifamily groups
By-Right Zoning Summary
Zoning: I-MIX (Industrial Mixed-Use) – City of Atlanta
The I-MIX zoning district is intended to encourage the redevelopment of former industrial areas into higher-density mixed-use urban environments. The designation allows for a wide range of residential, commercial, and mixed-use development options.
Permitted Uses (By-Right)
Under I-MIX zoning, the following uses are typically permitted:
• Multifamily residential developments
• Mixed-use residential with ground floor retail
• Apartments and condominium buildings
• Retail shops and neighborhood services
• Restaurants and cafes
• Office space
• Live-work units
• Structured parking decks
• Hotel and hospitality uses
• Creative office / studio space
Development Opportunity
This zoning supports high-density urban residential and mixed-use development,
This property offers a rare chance to develop a high-density multifamily project in a rapidly transforming area of downtown Atlanta with strong long-term growth fundamentals....
Contact an agent
Home facts
- Listing ID #:7740761
- Updated:May 14, 2026 at 01:25 PM
Structure and exterior
- Lot area:1.3 Acres
- Lot Features:Level
Schools
- High school:Maynard Jackson
- Middle school:Martin L. King Jr.
- Elementary school:Paul L. Dunbar
Finances and disclosures
- Price:$4,500,000
- Tax amount:$1,347 (2025)
New listings near 529 Whitehall Street Sw
- New
$1,295,000Active3 beds 4 baths4,708 sq. ft.132 Laurel Drive Ne, Atlanta, GA 30342
MLS# 7768402Listed by: ATLANTA FINE HOMES SOTHEBY'S INTERNATIONAL - New
$1,300,000Active3 beds 4 baths2,932 sq. ft.77 Peachtree Place Ne #605, Atlanta, GA 30309
MLS# 7768702Listed by: ENGEL & VOLKERS ATLANTA - Coming Soon
$6,495,000Coming Soon6 beds 11 baths4671 E Conway Drive Nw, Atlanta, GA 30327
MLS# 7770004Listed by: CHAPMAN HALL REALTY - New
$850,000Active5 beds 3 baths3,102 sq. ft.1664 Alderbrook Road Ne, Atlanta, GA 30345
MLS# 7770202Listed by: KELLER WILLIAMS REALTY METRO ATLANTA - New
$750,000Active4 beds 3 baths2,657 sq. ft.152 Mt Paran Road Ne, Atlanta, GA 30327
MLS# 7770382Listed by: BERKSHIRE HATHAWAY HOMESERVICES GEORGIA PROPERTIES - New
$1,195,000Active2 beds 2 baths2,262 sq. ft.750 Park Avenue Ne #27S, Atlanta, GA 30326
MLS# 7770383Listed by: BEACHAM AND COMPANY - New
$425,000Active3 beds 4 baths2,097 sq. ft.1673 Executive Park Lane Ne, Atlanta, GA 30329
MLS# 7769809Listed by: KELLER WILLIAMS RLTY CONSULTANTS - New
$220,000Active2 beds 3 baths1,440 sq. ft.6442 Rockaway Road, Atlanta, GA 30349
MLS# 7770394Listed by: BERKSHIRE HATHAWAY HOMESERVICES GEORGIA PROPERTIES - New
$535,000Active3 beds 4 baths1,975 sq. ft.7280 Glisten Avenue, Atlanta, GA 30328
MLS# 7770398Listed by: ANSLEY REAL ESTATE - New
$415,000Active3 beds 2 baths1,100 sq. ft.1278 Danner Street Se, Atlanta, GA 30316
MLS# 7756562Listed by: KELLER KNAPP