204 &205 Angela Drive, Augusta, GA 30907
Local realty services provided by:CENTURY 21 Triangle Group
204 &205 Angela Drive,Augusta, GA 30907
$149,000
- 1.21 Acres
- Lots / Land
- Active
Listed by: sharon quarles
Office: blanchard & calhoun - sn
MLS#:550816
Source:NC_CCAR
Price summary
- Price:$149,000
About this home
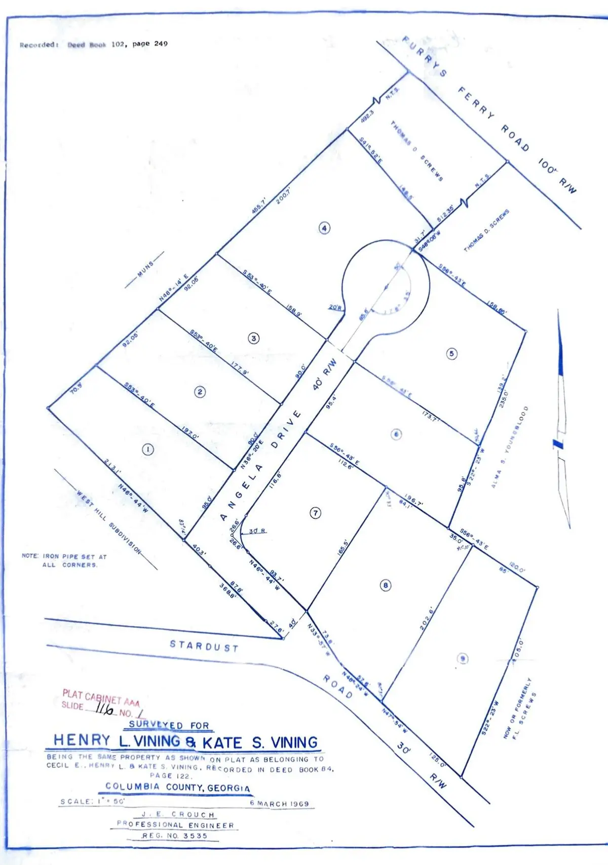
Investor Special in Columbia County! This is for 2 parcels, 204 and 205 Angela Drive. Approx 3 acres of undeveloped land in the heart of Martinez between Furys Ferry and Baston Rd! The plat on file with Columbia County has 6 lots and a cul de sac road on file, and is ready to apply for development (see pics for plat). Sewer and water on property at Stardust and Angela, see photo. This is an amazing opportunity for a developer, investors, or someone looking to build their home, in town, on acreage with no HOA!! Zoned R-3 (7500 sqft lots). Being sold as-is. Enter the property from Angela Dr. off of Stardust only. As a courtesy please schedule walk through in Showingtime.
Contact an agent
Home facts
- Listing ID #:550816
- Added:33 day(s) ago
- Updated:February 11, 2026 at 11:22 AM
Structure and exterior
- Lot area:1.21 Acres
Schools
- High school:Lakeside
- Middle school:Stallings Island
- Elementary school:Stevens Creek
Finances and disclosures
- Price:$149,000
New listings near 204 &205 Angela Drive
- New
$187,900Active2 beds 2 baths1,152 sq. ft.107 Sibley Street, Augusta, GA 30901
MLS# 552030Listed by: BETTER HOMES & GARDENS EXECUTIVE PARTNERS - New
$365,000Active4 beds 4 baths2714 Blossom Drive #A & B, Augusta, GA 30906
MLS# 10689585Listed by: Epix Realty & Lending - New
$299,000Active3 beds 2 baths1,728 sq. ft.1219 Winter Street, Augusta, GA 30904
MLS# 552009Listed by: RE/MAX REINVENTED - Open Sun, 2 to 4pmNew
$215,000Active3 beds 2 baths1,445 sq. ft.1426 Twiggs Street, Augusta, GA 30901
MLS# 552013Listed by: MEYBOHM REAL ESTATE - EVANS - New
$164,900Active2 beds 2 baths1,107 sq. ft.5026 Wheeler Lake Road, Augusta, GA 30909
MLS# 552006Listed by: SOUTHEASTERN RESIDENTIAL, LLC - Open Sun, 1 to 3pmNew
$229,900Active4 beds 2 baths1,188 sq. ft.2234 Lee Street, Augusta, GA 30904
MLS# 10689159Listed by: Keller Williams Augusta Partne - New
$184,900Active2 beds 2 baths1,092 sq. ft.8035 Reagan Circle, Augusta, GA 30909
MLS# 551994Listed by: COURSON REALTY, LLC - New
$699,900Active4 beds 3 baths3,009 sq. ft.956 Heard Avenue, Augusta, GA 30904
MLS# 551991Listed by: MEYBOHM REAL ESTATE - WHEELER - New
$1,600Active3 beds 2 baths1,653 sq. ft.2519 Weldon Drive, Augusta, GA 30906
MLS# 551988Listed by: COURSON REALTY, LLC - New
$230,000Active3 beds 2 baths1,485 sq. ft.1915 Preston Drive, Augusta, GA 30906
MLS# 551982Listed by: PURVIS HUGGINS REALTY