0 Ga Highway 369, Ball Ground, GA 30107
Local realty services provided by:CENTURY 21 Adams-Harvey & Associates
0 Ga Highway 369,Ball Ground, GA 30107
$550,000
- 12.14 Acres
- Lots / Land
- Active
Listed by: douglas hosmer
Office: re/max five star
MLS#:10736620
Source:METROMLS
Price summary
- Price:$550,000
About this home
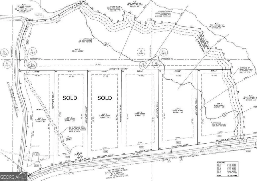
CREEK FRONTAGE ON 12 ACRE PRIVATE ESTATE LOT IN NORTH CHEROKEE COUNTY! Lots 5 & 6 - Creighton Road Subdivision (12 Acres Combined) Lots 5 and 6 are being offered together as a 12-acre creek frontage package, presenting a unique opportunity for added acreage at a special price. Lot 6 includes areas of flood plain, which has been factored into the combined pricing, allowing buyers to secure additional land and flexibility for future use. The property features rolling, wooded terrain with multiple potential homesites on Lot 5, while Lot 6 provides natural space that may be well suited for privacy buffers, recreation, or conservation. Enjoy rural estate living with proximity to shopping, dining, and retail at North Georgia Premium Outlets, along with easy access to North Georgia outdoor recreation. North Cherokee County is known for its scenic countryside, Gibbs Gardens, and access to outdoor recreation in the North Georgia mountains. This property is a strong opportunity for a private estate or long-term investment....
Contact an agent
Home facts
- Listing ID #:10736620
- Updated:April 23, 2026 at 11:28 PM
Structure and exterior
- Lot area:12.14 Acres
- Lot Features:Sloped
Schools
- High school:Other
- Middle school:Other
- Elementary school:Other
Utilities
- Water:Public, Water Available
Finances and disclosures
- Price:$550,000
New listings near 0 Ga Highway 369
- New
$749,900Active7 beds 6 baths6,545 sq. ft.129 Preserve Parkway, Ball Ground, GA 30107
MLS# 7757928Listed by: CENTURY 21 RESULTS - New
$782,340Active4 beds 4 baths105 Tanya Way, Ball Ground, GA 30107
MLS# 10739163Listed by: Engel & Völkers Atlanta - New
$524,900Active4 beds 4 baths2,459 sq. ft.9060 New Hightower Road, Ball Ground, GA 30107
MLS# 10739073Listed by: Atlanta Communities - New
$1,100,000Active5 beds 6 baths3,751 sq. ft.120 Mills Lane, Ball Ground, GA 30107
MLS# 7757567Listed by: FATHOM REALTY GA, LLC. - New
$350,000Active6.14 Acres0 Ga Highway 369, Ball Ground, GA 30107
MLS# 10736623Listed by: RE/MAX Five Star - New
$319,000Active2 beds 2 baths960 sq. ft.198 Old Nelson Road, Ball Ground, GA 30107
MLS# 7757322Listed by: VIRTUAL PROPERTIES REALTY.COM - New
$299,900Active2 beds 1 baths1,023 sq. ft.999 Old Canton Road, Ball Ground, GA 30107
MLS# 7750201Listed by: CENTURY 21 LINDSEY AND PAULEY - New
$719,900Active4 beds 2 baths2383 Sperin Road, Ball Ground, GA 30107
MLS# 10737720Listed by: Vineyard Real Estate Group - New
$2,900,000Active6 beds 6 baths4,953 sq. ft.120 Grandview Drive, Ball Ground, GA 30107
MLS# 10737689Listed by: Beycome Brokerage Realty LLC