- CENTURY 21 Real Estate
- Georgia
- Canton
- 7820 E Cherokee Drive
7820 E Cherokee Drive, Canton, GA 30115
Local realty services provided by:CENTURY 21 Results
7820 E Cherokee Drive,Canton, GA 30115
$240,000
- 2.21 Acres
- Lots / Land
- Active
Listed by: scott hailes
Office: matthews real estate group
MLS#:10637874
Source:METROMLS
Price summary
- Price:$240,000
About this home
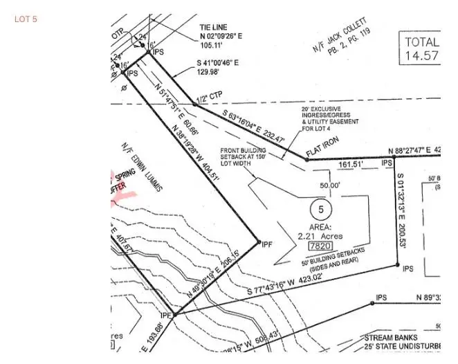
Prime Level Building Lot in Desirable Cherokee County - Ready for Your Dream Home! Discover this stunning, fully level build site nestled in the heart of highly sought-after Cherokee County, surrounded by luxury million-dollar homes. Perfectly zoned within the top-rated Creekview, Creekland, and Avery School Districts, this property offers exceptional value and convenience for families seeking quality education and upscale living. Enjoy secluded privacy on this serene homesite, graced with mature trees and freshly cleared underbrush for effortless exploration - it's easy to walk and envision your custom build! With protective covenants in place to maintain neighborhood standards (but no HOA fees to worry about), you'll have peace of mind without the extra costs. Full covenants and plat details are available in the listing documents for your review. Boasting 60 feet of road frontage on E. Cherokee Drive, this lot is primed for immediate development. Lot 5 includes a pre-approved 40-foot driveway permit from Cherokee County, streamlining your construction process. The adjacent 20-foot frontage serves as an exclusive ingress/egress and utility easement for the neighboring Lot 4 (positioned behind), ensuring no shared access issues. A Level 3 soil test has been completed and is ready for your review upon request - confirming this site's build-ready status. As the Owner/Agent, I'm excited to showcase this rare opportunity.
Contact an agent
Home facts
- Listing ID #:10637874
- Updated:January 29, 2026 at 11:52 AM
Structure and exterior
- Lot area:2.21 Acres
Schools
- High school:Creekview
- Middle school:Creekland
- Elementary school:Avery
Utilities
- Water:Public, Water Available
- Sewer:Perc Test On File
Finances and disclosures
- Price:$240,000
- Tax amount:$2,098 (2025)
New listings near 7820 E Cherokee Drive
- New
$850,000Active-- beds -- baths284 Shoal Creek Road, Canton, GA 30114
MLS# 10682347Listed by: Virtual Properties Realty.com - Coming Soon
$1,299,900Coming Soon4 beds 3 baths850 Land Road, Canton, GA 30114
MLS# 7712070Listed by: BHGRE METRO BROKERS - Coming Soon
$500,000Coming Soon4 beds 4 baths415 Crestmont Lane, Canton, GA 30114
MLS# 7712081Listed by: METHOD REAL ESTATE ADVISORS - New
$600,000Active4 beds 3 baths5,292 sq. ft.602 Crabapple Court, Canton, GA 30115
MLS# 7711703Listed by: BERKSHIRE HATHAWAY HOMESERVICES GEORGIA PROPERTIES - New
$1,395,000Active4 beds 4 baths4,600 sq. ft.1020 Old Lathemtown Road, Canton, GA 30115
MLS# 10681779Listed by: Atlanta Communities - New
$469,000Active3 beds 2 baths1,786 sq. ft.701 Redwood Pass, Canton, GA 30114
MLS# 7710171Listed by: KELLER WILLIAMS REALTY ATL PERIMETER - New
$490,000Active4 beds 3 baths2,896 sq. ft.206 Providence Walk Court, Canton, GA 30114
MLS# 7711585Listed by: RE/MAX TOWN AND COUNTRY - New
$339,900Active4 beds 3 baths1,920 sq. ft.342 Hidden Creek Lane, Canton, GA 30114
MLS# 10681601Listed by: Solutions First Realty LLC - New
$429,900Active3 beds 3 baths341 Lakeside Court, Canton, GA 30114
MLS# 10678367Listed by: Venture Real Estate, Inc. - Coming Soon
$625,000Coming Soon4 beds 4 baths134 Royal Oaks Dr Drive, Canton, GA 30115
MLS# 7710513Listed by: KELLER WILLIAMS REALTY SIGNATURE PARTNERS