0 Maddox Road, Morrow, GA 30260
Local realty services provided by:CENTURY 21 Crowe Realty
0 Maddox Road,Morrow, GA 30260
$1,135,000
- 4.39 Acres
- Lots / Land
- Active
Listed by: joseph chapman
Office: chapman group realty, inc.
MLS#:10674000
Source:METROMLS
Price summary
- Price:$1,135,000
About this home
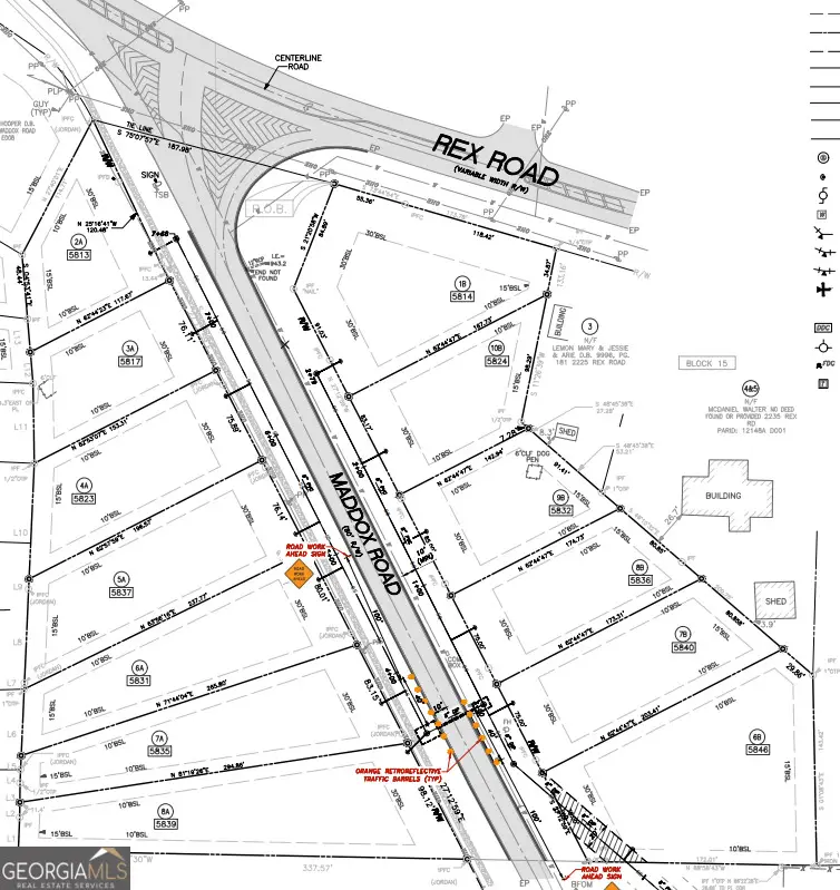
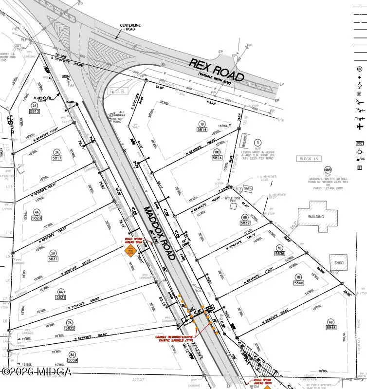
An excellent development opportunity featuring 13 residential lots on 4.387 acres. Zoned RG-75 with a 1,300 sq. ft. minimum home size. Public water and sewer are already on site, ready for builders or investors to move forward with construction.
Contact an agent
Home facts
- Listing ID #:10674000
- Updated:March 10, 2026 at 10:53 AM
Structure and exterior
- Lot area:4.39 Acres
- Lot Features:Level
Schools
- High school:Morrow
- Middle school:Morrow
- Elementary school:Marshall Elementary School
Utilities
- Water:Public, Water Available
- Sewer:Public Sewer, Sewer Available
Finances and disclosures
- Price:$1,135,000
New listings near 0 Maddox Road
- New
$125,000Active3 beds 2 baths1,092 sq. ft.1937 Cornell Way, Morrow, GA 30260
MLS# 7686782Listed by: ANCHOR REAL ESTATE ADVISORS, LLC - New
$125,000Active3 beds 2 baths1,092 sq. ft.1937 Cornell Way, Morrow, GA 30260
MLS# 10706670Listed by: Anchor Real Estate Advisors - New
$249,000Active3 beds 3 baths1,746 sq. ft.1910 Old Rex Morrow Road, Morrow, GA 30260
MLS# 7730834Listed by: ROCK RIVER REALTY, LLC. - New
$45,000Active0.62 Acres0 Herndon Boulevard, Morrow, GA 30260
MLS# 7730551Listed by: ICONIC ASSOCIATES, REAL ESTATE BROKERS, LLC - New
$550,000Active7 beds 4 baths4,608 sq. ft.2104 Murry Trail, Morrow, GA 30260
MLS# 10703437Listed by: HomeSmart
$35,000Active0.24 AcresLOT 39 Herndon Boulevard, Morrow, GA 30260
MLS# 10625476Listed by: ICONIC Associates RealEstate Brokers
$45,000Active0.62 AcresLOT 26,27,28 Herndon Boulevard, Morrow, GA 30260
MLS# 10699259Listed by: ICONIC Associates RealEstate Brokers- New
$275,000Active3 beds 2 baths1,924 sq. ft.2688 Heritage Lane, Morrow, GA 30260
MLS# 10702461Listed by: Maximum One Realtor Partners - New
$225,000Active4 beds 3 baths1,661 sq. ft.2514 Harbin Village Court, Morrow, GA 30260
MLS# 10702000Listed by: Engel & Völkers Atlanta - New
$275,000Active3 beds 2 baths2783 Mill Lake Way, Morrow, GA 30260
MLS# 10701803Listed by: JQRH Property Management, LLC