- CENTURY 21 Real Estate
- Iowa
- Epworth
- Lot 26 Road 1
Lot 26 Road 1, Epworth, IA 52045
Local realty services provided by:CENTURY 21 Signature Real Estate
Lot 26 Road 1,Epworth, IA 52045
$273,400
- - Beds
- - Baths
- - sq. ft.
- Farm
- Active
Listed by: craig byers, jason rogers
Office: q4 real estate
MLS#:2406630
Source:IA_CRAAR
Price summary
- Price:$273,400
About this home
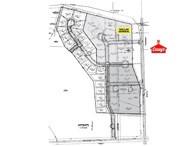
Prime development lots ranging from 0.299 to 9.455 acres in the vibrant Dubuque Metropolitan Area, specifically located in Epworth. These meticulously selected lots offer convenient access to Highway 20, Highway 151, and Dubuque, ensuring seamless transportation and enhanced visibility. Whether planning a dynamic residential community or a bustling commercial hub, this strategic location provides an ideal canvas for innovative projects. Notably, Dollar General has already secured Lot 28 within this new and upcoming development.
Contact an agent
Home facts
- Listing ID #:2406630
- Added:494 day(s) ago
- Updated:January 02, 2026 at 04:38 PM
Structure and exterior
- Lot area:2.2 Acres
Schools
- High school:Western Dubuque
- Middle school:Drexler
- Elementary school:Epworth
Utilities
- Water:Public
Finances and disclosures
- Price:$273,400
- Tax amount:$58,371
New listings near Lot 26 Road 1
$360,000Pending3 beds 4 baths2,636 sq. ft.601 Baja Drive, Epworth, IA 52045
MLS# 153568Listed by: REAL BROKER, LLC
$152,000Active-- beds -- bathsLot 30 Road 1, Epworth, IA 52045
MLS# 2406646Listed by: Q4 REAL ESTATE
$106,200Active-- beds -- bathsLot 31 Road 3, Epworth, IA 52045
MLS# 2406648Listed by: Q4 REAL ESTATE
$80,400Active-- beds -- bathsLot 32 Road 3, Epworth, IA 52045
MLS# 2406649Listed by: Q4 REAL ESTATE
$82,100Active-- beds -- bathsLot 33 Road 1, Epworth, IA 52045
MLS# 2406651Listed by: Q4 REAL ESTATE
$37,100Active-- beds -- bathsLot 36 Road 2, Epworth, IA 52045
MLS# 2406656Listed by: Q4 REAL ESTATE
$100,000Active-- beds -- bathsLot 39 Placid Road, Epworth, IA 52045
MLS# 2406659Listed by: Q4 REAL ESTATE
$59,500Active-- beds -- bathsLot 29 Road 5, Epworth, IA 52045
MLS# 2406642Listed by: Q4 REAL ESTATE
$74,000Active-- beds -- bathsLot 34 Road 2, Epworth, IA 52045
MLS# 2406653Listed by: Q4 REAL ESTATE
$62,700Active-- beds -- bathsLot 35 Road 2, Epworth, IA 52045
MLS# 2406655Listed by: Q4 REAL ESTATE