9162 1450 East Road, Georgetown, IL 61846
Local realty services provided by:CENTURY 21 Elite
9162 1450 East Road,Georgetown, IL 61846
$162,500
- 4 Beds
- 2 Baths
- 2,500 sq. ft.
- Single family
- Pending
Listed by: keeley stalcup
Office: exp realty
MLS#:6256665
Source:IL_CIBOR
Price summary
- Price:$162,500
- Price per sq. ft.:$65
About this home
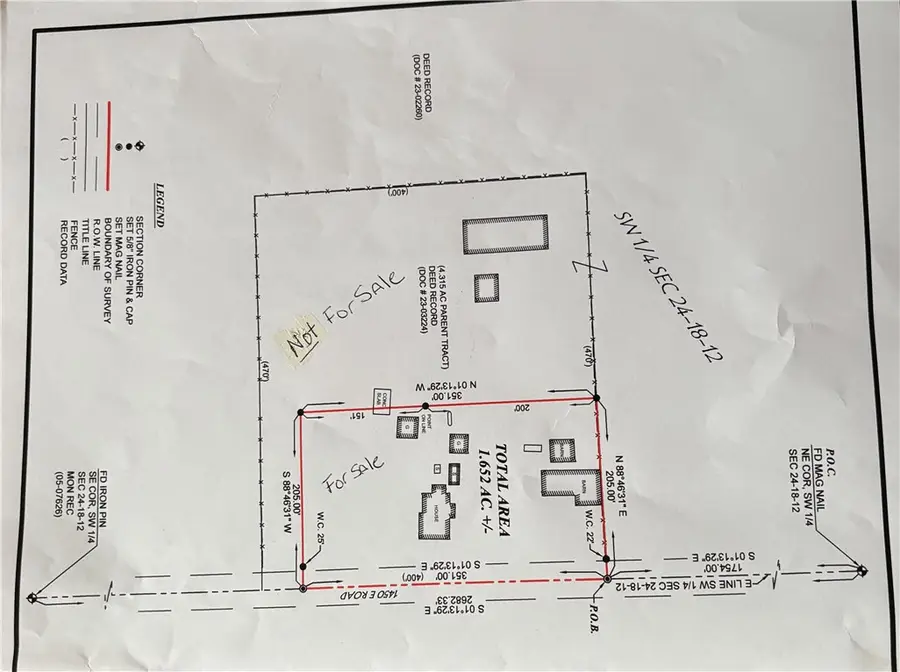
Take a look at this farm house located outside of Georgetown, IL. This home has 3-4 bedrooms and 1.5 bathrooms. It sits on 1.652 acres in the middle of the country on a blacktop road! Included is a 2 car garage, barn with a fenced in section, shed, and a heated garage that was converted into a library, but could be used for whatever your needs are. This home has solid bones, character, beautiful woodworking and tons of kitchen cabinets! Don't let the old flooring discourage you, peel back the carpet and find hard wood flooring on some of the the main level rooms, and plank floors upstairs. They don't build them like this anymore, with TLC and refreshing and you could have a beautiful forever home. Roof was replaced around 2019, A/O Smith water heater, furnace and a/c all replaced in 2018. The metal building towards the back of the property is not included in this sale, the GIS map has not been updated, and the survey for the new boundry lines can be provided by your agent.
Contact an agent
Home facts
- Year built:1900
- Listing ID #:6256665
- Added:106 day(s) ago
- Updated:April 14, 2026 at 10:07 AM
Rooms and interior
- Bedrooms:4
- Total bathrooms:2
- Full bathrooms:1
- Half bathrooms:1
- Rooms Total:10
- Kitchen Description:CookTop, Dishwasher, Oven, Range
- Basement:Yes
- Basement Description:Full, Unfinished
- Living area:2,500 sq. ft.
Heating and cooling
- Cooling:Central Air
- Heating:Forced Air, Propane
- Central air:Yes
Structure and exterior
- Year built:1900
- Building area:2,500 sq. ft.
- Lot area:1.65 Acres
- Architectural Style:Farmhouse
- Construction Materials:Vinyl Siding
- Exterior Features:Front Porch, Rear Porch, Shed, Workshop
- Levels:2 Stories
Utilities
- Water:Well
- Sewer:Septic Tank
Finances and disclosures
- Price:$162,500
- Price per sq. ft.:$65
- Tax amount:$1,721 (2024)
Features and amenities
- Appliances:Cooktop, Dishwasher, Generator, Oven, Range, Water Heater
- Laundry features:Cooktops, Laundry Main Level
- Amenities:Walk In Closets
Parking
- Parking description:2 Car Garage, Detached, Garage
- Garage:Yes
- Garage spaces:2
New listings near 9162 1450 East Road
- New
$95,000Active3 beds 1 baths1,348 sq. ft.312 E 11th Street, Georgetown, IL 61846
MLS# 12621118Listed by: THE REAL ESTATE GROUP,INC
$119,900Active3 beds 1 baths1,100 sq. ft.607 S Walnut Street, Georgetown, IL 61846
MLS# 6257991Listed by: CROSSROADS REALTY
$124,900Pending2 beds 2 baths1,302 sq. ft.109 E 9 Street, Georgetown, IL 61846
MLS# 6257433Listed by: CLASSIC HOMES REALTY
$49,900Active2 beds 1 baths775 sq. ft.1406 N Main Street, Georgetown, IL 61846
MLS# 12594160Listed by: SMITH'S REAL ESTATE SERVICES,
$109,000Active3 beds 1 baths1,500 sq. ft.407 W West Street, Georgetown, IL 61846
MLS# 6257180Listed by: CLASSIC HOMES REALTY
$380,000Active-- beds -- baths406 Stone Street, Georgetown, IL 61846
MLS# 6257389Listed by: PRIORITY ONE REAL ESTATE
$33,900Active3 beds 1 baths1,900 sq. ft.208 E 7th Street #H, Georgetown, IL 61846
MLS# 6257149Listed by: CLASSIC HOMES REALTY
$99,900Pending3 beds 2 baths1,712 sq. ft.312 W 7th Street, Georgetown, IL 61846
MLS# 6256926Listed by: COLDWELL BANKER REAL ESTATE GROUP
$215,000Pending3 beds 2 baths2,020 sq. ft.613 Seminary Street, Georgetown, IL 61846
MLS# 6256688Listed by: CLASSIC HOMES REALTY