1644 E Grove Avenue, Rantoul, IL 61866
Local realty services provided by:CENTURY 21 New Beginnings
1644 E Grove Avenue,Rantoul, IL 61866
$61,750
- 0.91 Acres
- Lots / Land
- Active
Listed by: herman fogal
Office: realty 2000,inc
MLS#:09485582
Source:MLSNI
Price summary
- Price:$61,750
About this home
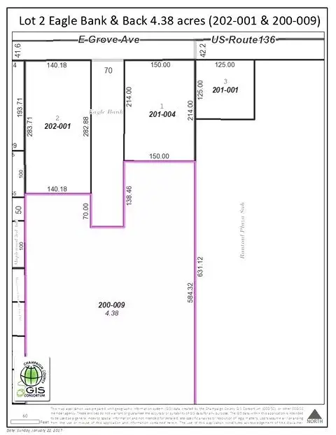
TWO PARCELS FRONT PARCEL FRONTING RT 136 IS ZONED COMMERICAL AND CONSISTS OF .912 ACRES AND IS 140 X 283 ON THE WEST SIDE OF LAND, THE SECOND PARCEL IS ZONED AGRICULTURE IS BEHIND PARCEL ONE AND CONSISTS OF 4.38 ACRES. THERE IS A 70 FT WIDE BY 352 FOOT STREET EASEMENT ADJACENT TO PARCEL ONE ON THE EAST SIDE AND IN FRONT OF PARCEL TWO THAT IS ALSO BEING FARMED BY TENANT FARMER. THEREBY THE REAR PARCEL IS NOT LAND LOCKED. PURCHASE BOTH PARCELS. TERRIFIC LOCATION FOR NEW BUSINESS. THE TWO PARCELS CONSIST OF 5.29 ACRES TOTAL
Contact an agent
Home facts
- Listing ID #:09485582
- Added:1142 day(s) ago
- Updated:March 15, 2026 at 10:46 AM
Rooms and interior
- Basement:Yes
Structure and exterior
- Lot area:0.91 Acres
Schools
- High school:RANTOUL TWP HS
- Middle school:RANTOUL JUNIOR HIGH SCHOOL
- Elementary school:RANTOUL ELEMENTARY SCHOOL
Finances and disclosures
- Price:$61,750
- Tax amount:$382 (2023)
New listings near 1644 E Grove Avenue
- New
$28,000Active3 beds 2 baths1,200 sq. ft.1205 Wedgewood Drive, Rantoul, IL 61866
MLS# 12591925Listed by: KELLER WILLIAMS-TREC - New
$164,500Active3 beds 2 baths1,429 sq. ft.1014 Illinois Drive, Rantoul, IL 61866
MLS# 12579298Listed by: RYAN DALLAS REAL ESTATE - New
$128,500Active2 beds 1 baths807 sq. ft.804 Juniper Drive, Rantoul, IL 61866
MLS# 12583004Listed by: TOWN & COUNTRY REALTY,LLP
$116,500Active3 beds 1 baths848 sq. ft.1468 Mather Drive, Rantoul, IL 61866
MLS# 12575160Listed by: RE/MAX REALTY ASSOCIATES-CHA
$125,000Active3 beds 1 baths1,521 sq. ft.1612 Golfview Road, Rantoul, IL 61866
MLS# 12546710Listed by: EXP REALTY-MAHOMET
$224,900Pending3 beds 4 baths1,460 sq. ft.Address Withheld By Seller, Rantoul, IL 61866
MLS# 12570460Listed by: EXP REALTY-CHAMPAIGN
$139,900Pending3 beds 2 baths1,112 sq. ft.1008 Bel Aire Drive, Rantoul, IL 61866
MLS# 12566094Listed by: THE REAL ESTATE GROUP,INC
$112,500Pending2 beds 1 baths757 sq. ft.1037 Bel Aire Drive, Rantoul, IL 61866
MLS# 12546953Listed by: KELLER WILLIAMS-TREC
$159,900Active11 beds 5 baths4,000 sq. ft.209 E Belle Ave, Champaign, IL 61866
MLS# 25062464Listed by: WORTH CLARK REALTY
$285,000Pending6 beds 3 baths3,037 sq. ft.621 W Champaign Avenue, Rantoul, IL 61866
MLS# 12531480Listed by: TOWN & COUNTRY REALTY,LLP