3385 Colby Road, Winchester, KY 40391
Local realty services provided by:CENTURY 21 Simpson & Associates
3385 Colby Road,Winchester, KY 40391
$150,000
- 2.77 Acres
- Lots / Land
- Active
Listed by: steven d adams
Office: steven d adams real estate services, llc.
MLS#:26008075
Source:KY_LBAR
Price summary
- Price:$150,000
About this home
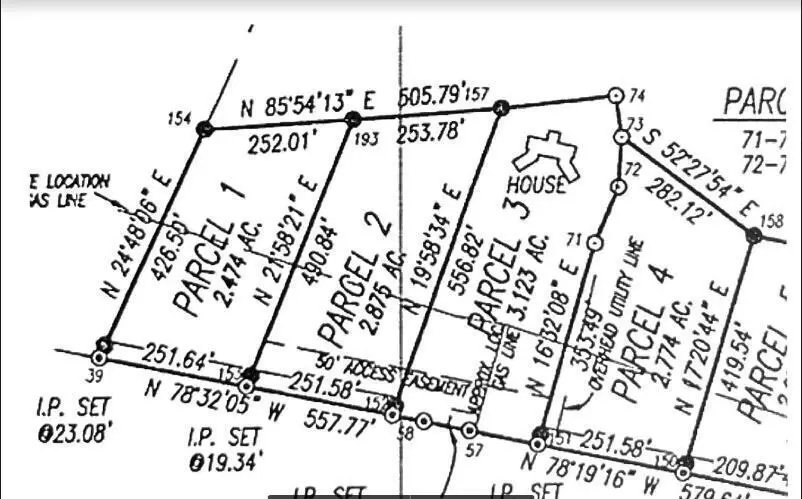
Parcel 4 in the photos. This 2.774 acre lot is available on Colby Road just 1.5 miles from the Winchester Bypass. No building restrictions other than no manufactured housing and a paved driveway must be completed within a year of finishing a residence.
Contact an agent
Home facts
- Listing ID #:26008075
- Added:10 day(s) ago
- Updated:April 26, 2026 at 02:50 PM
Structure and exterior
- Lot area:2.77 Acres
Finances and disclosures
- Price:$150,000
New listings near 3385 Colby Road
- Open Sun, 1 to 3pmNew
$275,000Active3 beds 2 baths1,779 sq. ft.720 Terry Drive, Winchester, KY 40391
MLS# 26009068Listed by: KELLER WILLIAMS COMMONWEALTH - Open Sun, 2 to 4pmNew
$192,500Active2 beds 3 baths1,188 sq. ft.310 Essex Court, Winchester, KY 40391
MLS# 26009036Listed by: KELLER WILLIAMS COMMONWEALTH
$405,000Pending5 beds 3 baths2,944 sq. ft.505 Lasalle Court, Winchester, KY 40391
MLS# 26008961Listed by: THE AGENCY- New
$149,900Active3 beds 1 baths1,938 sq. ft.11 Taylor Avenue, Winchester, KY 40391
MLS# 26008944Listed by: COLDWELL BANKER MCMAHAN - New
$239,900Active5 beds 2 baths2,570 sq. ft.148 W Lexington Avenue, Winchester, KY 40391
MLS# 26008946Listed by: COLDWELL BANKER MCMAHAN - New
$329,999Active3 beds 3 baths2,648 sq. ft.414 Pueblo Court, Winchester, KY 40391
MLS# 26008330Listed by: THE LOCAL AGENTS - New
$415,000Active4 beds 3 baths3,310 sq. ft.382 S Main Street, Winchester, KY 40391
MLS# 26008931Listed by: RE/MAX CREATIVE, WINCHESTER - New
$275,000Active3 beds 2 baths1,240 sq. ft.110 Buckingham Lane, Winchester, KY 40391
MLS# 26008814Listed by: ERA SELECT REAL ESTATE - New
$322,500Active3 beds 3 baths2,648 sq. ft.412 Pueblo Court, Winchester, KY 40391
MLS# 26008794Listed by: RECTOR HAYDEN REALTORS - Open Sun, 1 to 3pmNew
$330,000Active5 beds 3 baths2,624 sq. ft.28 Churchill Drive, Winchester, KY 40391
MLS# 26008797Listed by: MARSHALL LANE REAL ESTATE - LEXINGTON