33250 La Hwy 16, Denham Springs, LA 70706
Local realty services provided by:CENTURY 21 Action Realty
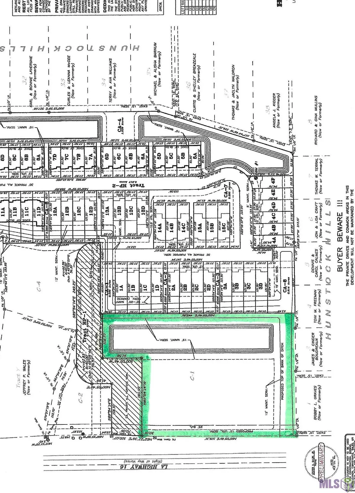
33250 La Hwy 16,Denham Springs, LA 70706
$950,000
- 2.56 Acres
- Lots / Land
- Active
Listed by: teri f pruett
Office: crossroads realty, llc.
MLS#:BR2023004357
Source:LA_RAAMLS
Price summary
- Price:$950,000
About this home
Prime commercial lot in Watson. This 2.56 acre tract includes 358' of road frontage and is zoned commercial. The detention area is constructed and the lot has access to sewer, water, Demco, AT&T and Cox fiber. The 1 year permitting process and the civil work is complete. Includes all engineering fees $50,000+. It is ready to build on!
Contact an agent
Home facts
- Listing ID #:BR2023004357
- Added:370 day(s) ago
- Updated:March 08, 2026 at 03:05 PM
Structure and exterior
- Lot area:2.56 Acres
- Lot Features:Cleared, Level, Rural
- Architectural Style:Commercial
Finances and disclosures
- Price:$950,000
Features and amenities
- Amenities:Cable Available, Electricity Available, Fiber Optics Available, Natural Gas Available
New listings near 33250 La Hwy 16
- New
$239,900Active3 beds 2 baths1,656 sq. ft.32451 Curtis Cove Ln, Denham Springs, LA 70706
MLS# BR2026004408Listed by: MANDY BENTON REALTY GROUP LLC - New
$195,000Active4 beds 2 baths1,680 sq. ft.36814 Fore Rd, Denham Springs, LA 70706
MLS# BR2026004414Listed by: PROVEN PROPERTIES, LLC - New
$230,900Active4 beds 2 baths1,506 sq. ft.35489 Forest Manor Ave, Denham Springs, LA 70706
MLS# 2026004449Listed by: D.R. HORTON REALTY OF LOUISIAN
$217,000Pending3 beds 2 baths1,246 sq. ft.8739 Lockhart Rd #9-A, Denham Springs, LA 70726
MLS# BR2026004399Listed by: CHT GROUP REAL ESTATE, LLC- New
$197,000Active2 beds 2 baths1,074 sq. ft.8739 Lockhart Rd #9-D, Denham Springs, LA 70726
MLS# BR2026004395Listed by: CHT GROUP REAL ESTATE, LLC - New
$197,000Active2 beds 2 baths1,074 sq. ft.8739 Lockhart Rd #9-C, Denham Springs, LA 70726
MLS# BR2026004396Listed by: CHT GROUP REAL ESTATE, LLC - New
$197,000Active2 beds 2 baths1,074 sq. ft.8739 Lockhart Rd #9-B, Denham Springs, LA 70726
MLS# BR2026004398Listed by: CHT GROUP REAL ESTATE, LLC - New
$217,000Active3 beds 2 baths1,246 sq. ft.8739 Lockhart Rd #10-A, Denham Springs, LA 70726
MLS# BR2026004401Listed by: CHT GROUP REAL ESTATE, LLC - New
$175,000Active0.46 Acres25607 La Hwy 16, Denham Springs, LA 70726
MLS# 2026004431Listed by: RE/MAX SELECT - Open Sun, 2 to 4pmNew
$280,000Active3 beds 2 baths1,457 sq. ft.9210 Gary St, Denham Springs, LA 70726
MLS# 2026004432Listed by: DAWSON GREY REAL ESTATE