385 Le Belle Maison Drive, Raceland, LA 70394
Local realty services provided by:CENTURY 21 Lakeshore
385 Le Belle Maison Drive,Raceland, LA 70394
$59,000
- 0.33 Acres
- Lots / Land
- Active
Listed by: brandy nichols
Office: brandy nichols realty
MLS#:2524580
Source:LA_GSREIN
Price summary
- Price:$59,000
About this home
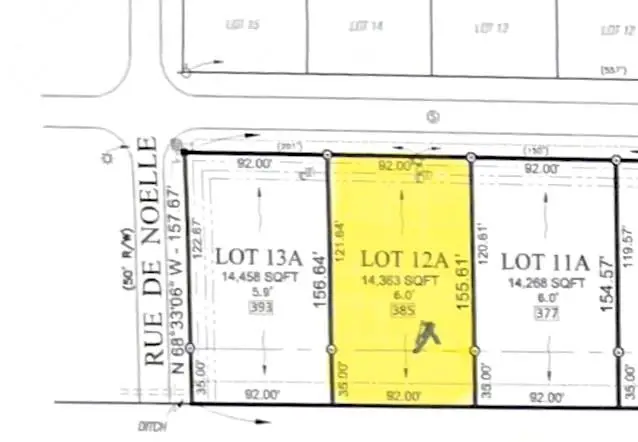
385 Le Belle Maison Dr, Lot 12A - Le Belle Maison is a quiet and welcoming neighborhood that combines small town charm with modern convenience. Lot 12A measures approximately 92 feet wide by 155.61 feet deep with a 6 foot elevation, giving you plenty of space to design and build your dream home. There is also a parcel directly behind the lot measuring about 92 x 100 ft that can be purchased separately if additional land is desired. Residents enjoy peaceful surroundings with convenient access to Houma and the interstate. Flood Zone B!
Contact an agent
Home facts
- Listing ID #:2524580
- Added:183 day(s) ago
- Updated:April 05, 2026 at 02:58 PM
Rooms and interior
- Living area:14,363 sq. ft.
Structure and exterior
- Building area:14,363 sq. ft.
- Lot area:0.33 Acres
- Lot Features:City Lot, Rectangular Lot
Schools
- High school:LPPS
- Middle school:LPPS
- Elementary school:LPPS
Utilities
- Water:Public
Finances and disclosures
- Price:$59,000
New listings near 385 Le Belle Maison Drive
- New
$154,000Active3 beds 1 baths980 sq. ft.4691 Hwy 1, Raceland, LA 70394
MLS# BY2026005838Listed by: KELLER WILLIAMS REALTY BAYOU P - New
$295,000Active27 AcresTBD Hwy 1, Raceland, LA 70394
MLS# BR2026005819Listed by: EXP REALTY - New
$295,000Active27 AcresTBD Hwy 1, Raceland, LA 70394
MLS# 2026005819Listed by: EXP REALTY - New
$40,000Active2 beds 1 baths1,096 sq. ft.229 New Haven Street, Raceland, LA 70394
MLS# BY2026005721Listed by: CENTURY 21 ACTION REALTY INC
$215,000Pending4 beds 2 baths1,710 sq. ft.226 Elm Dr, Raceland, LA 70816
MLS# BY2026005701Listed by: KELLER WILLIAMS REALTY BAYOU P- New
$160,000Active3 beds 2 baths1,666 sq. ft.269 Saint Ann St, Raceland, LA 70394
MLS# BY2026005660Listed by: DONNES REAL ESTATE, INC
$215,000Pending4 beds 2 baths1,710 sq. ft.226 Elm Dr, Raceland, LA 70816
MLS# 2026005701Listed by: KELLER WILLIAMS REALTY BAYOU P- New
$99,500Active3 beds 1 baths1,009 sq. ft.204 Sako Drive, Raceland, LA 70394
MLS# NO2549450Listed by: CONGRESS REALTY, INC.
$140,000Active2 beds 1 baths1,167 sq. ft.168 St Ann St, Raceland, LA 70394
MLS# BY2026005247Listed by: KELLER WILLIAMS REALTY BAYOU P
$65,000Active0.65 AcresTBD Country Village Drive, Raceland, LA 70394
MLS# BY2026005206Listed by: KELLER WILLIAMS REALTY BAYOU P