125 Holmes Boulevard, Terrytown, LA 70056
Local realty services provided by:CENTURY 21 Buelow-Miller Realty
125 Holmes Boulevard,Terrytown, LA 70056
$65,000
- 0.18 Acres
- Lots / Land
- Active
Listed by: blake rose
Office: berkshire hathaway homeservices preferred, realtor
MLS#:2533646
Source:LA_CLBOR
Price summary
- Price:$65,000
About this home
<p style="color:green">
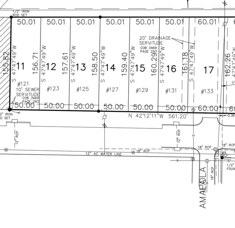
Pristine lot of vacant land zoned for commercial development (C-1) at the brand new Oakwood Estates mixed-use development along Holmes Boulevard in Terrytown, priced to sell! Lot is BUILD-READY, and has already been outfitted with a sanitary sewer tap and a water tap, with stormwater drain connections already in place. Lot has been regraded so that current elevation is at or above base flood. Over $25K worth of improvements have been performed already. This lot is suitable for banks, restaurants, retail shops, offices, or any other successful local business looking to expand to an excellent new location in a rapidly-developing (and appreciating) area.
<p style="color:green">
Holmes Boulevard itself has been entirely repaved with bike lanes added recently. 72 consecutive lots of prime commercial and residential real estate have either been listed and/or sold along Holmes Boulevard in the last several years and are being developed at a rapid clip. Property values should rapidly increase over the course of the next 2-3 years. This is you and your business's chance to get in on the ground floor. Opportunity awaits!!!...
Contact an agent
Home facts
- Listing ID #:2533646
- Added:523 day(s) ago
- Updated:March 18, 2026 at 02:57 PM
Rooms and interior
- Living area:7,903 sq. ft.
Structure and exterior
- Building area:7,903 sq. ft.
- Lot area:0.18 Acres
Utilities
- Water:Public
- Sewer:Public Sewer
Finances and disclosures
- Price:$65,000
Parking
- Parking description:ext_fea_
New listings near 125 Holmes Boulevard
- Open Sat, 2 to 4pmNew
$259,000Active3 beds 2 baths1,300 sq. ft.748 Oakwood Drive, Gretna, LA 70056
MLS# 2547987Listed by: REALTY ONE GROUP IMMOBILIA - New
$155,000Active3 beds 3 baths1,591 sq. ft.218 Terry Parkway #D, Terrytown, LA 70056
MLS# 2547208Listed by: HOMESMART REALTY SOUTH - New
$245,000Active3 beds 3 baths1,514 sq. ft.733 Mystic Avenue, Terrytown, LA 70056
MLS# 2541482Listed by: CENTURY 21 ACTION REALTY, INC. - New
$229,000Active7 beds 4 baths2,300 sq. ft.584 Holmes Boulevard, Gretna, LA 70056
MLS# 2544494Listed by: DONALD JULIEN & ASSOCIATES, INC.
$387,900Active12 beds 10 baths5,800 sq. ft.2904 N. Monterey Court, Gretna, LA 70056
MLS# 2534736Listed by: GULF SOUTH INTERNATIONAL, REALTORS, LLC
$240,000Active3 beds 2 baths1,305 sq. ft.728 Goodson Drive, Gretna, LA 70056
MLS# 2546138Listed by: BILAL A. ZUGHAYER
$240,000Active3 beds 2 baths1,305 sq. ft.728 Goodson Drive, Gretna, LA 70056
MLS# NO2546138Listed by: BILAL A. ZUGHAYER
$320,000Active4 beds 2 baths2,258 sq. ft.1820 Green Oak Road, Gretna, LA 70056
MLS# 2545707Listed by: BRITTNY MCKAY REAL ESTATE
$179,000Active2 beds 1 baths1,188 sq. ft.2130 N Butterfly Circle, Terrytown, LA 70056
MLS# 2518723Listed by: ROBERT WOLFE REAL ESTATE, INC.
$185,000Active4 beds 2 baths1,684 sq. ft.525 Farmington Place, Gretna, LA 70056
MLS# 2545348Listed by: PAUL GILMORE & ASSOCIATES, INC.