3020 Holland Road, Apex, NC 27502

Local realty services provided by:CENTURY 21 New Beginnings
3020 Holland Road,Apex, NC 27502
$900,000
  • 1.99 Acres
  • Lots / Land
  • Active
Listed by: john hargrove
Office: parrish realty company of zebu
MLS#:10139179
Source:RD

Price summary

  • Price:$900,000

About this home

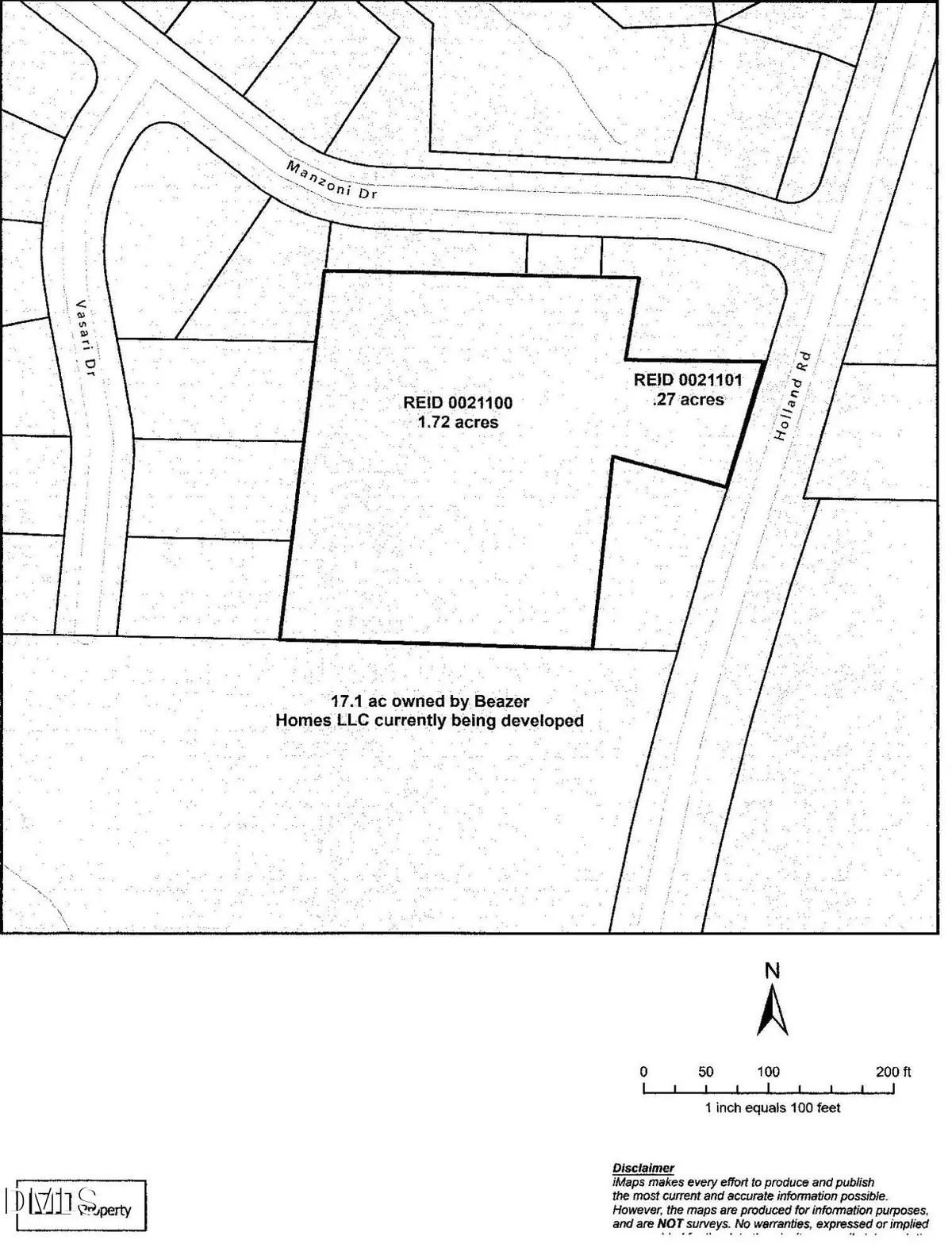
Listing includes 2 parcels: Wake County REID 0021100 and 0021101 for a total of 1.99 acres. Property is surrounded by the Bella Casa neighborhood to the north and west and the new Beazer Homes LLC development to the south. Access to Holland Road is on the east side. Lot dimensions were taken from the Wake County GIS; there is no current survey available. There are 2 single wide trailers on the property, a detached garage, several other small sheds and the original homesite structure: none of which should not be entered. All structures are considered to be obsolete and of no value. Well and septic on site. County water and sewer close. There is a tenant living in the green trailer that has no ownership interest in the property.

Contact an agent

contact an agent

Yes, I would like more information. Please use and/or share my information with an independent agent affiliated with the CENTURY 21®  brand to contact me about my real estate needs. By clicking Send message, I request to be contacted by phone or text message and consent to being contacted by automated means. I understand that my consent to receive calls or texts is not a condition of purchasing any property, goods, or services. Alternatively, I understand that I can access real estate services by email or I can contact the agent myself.

If an independent agent affiliated with the CENTURY 21®  brand is not available in the area where I need assistance, I agree to be contacted by a real estate agent affiliated with another brand owned or licensed by Anywhere Real Estate (BHGRE® , Coldwell Banker® , Corcoran® , ERA® , Sotheby's International Realty® ).
 I acknowledge that I have read and agree to theTerms of useandPrivacy notice

Home facts

  • Listing ID #:10139179
  • Added:65 day(s) ago
  • Updated:February 10, 2026 at 04:34 PM

Structure and exterior

  • Lot area:1.99 Acres

Schools

  • High school:Wake - Apex Friendship
  • Middle school:Wake - Apex Friendship
  • Elementary school:Wake - Scotts Ridge

Utilities

  • Water:Public

Finances and disclosures

  • Price:$900,000
  • Tax amount:$2,269
MLS LogoListings marked with a Doorify MLS icon are provided courtesy of the Doorify MLS, of North Carolina, Internet Data Exchange Database. Brokers make an effort to deliver accurate information, but buyers should independently verify any information on which they will rely in a transaction. The listing broker shall not be responsible for any typographical errors, misinformation, or misprints, and they shall be held totally harmless from any damages arising from reliance upon this data. This data is provided exclusively for consumers’ personal, non-commercial use. Copyright 2026 Doorify MLS of North Carolina. All rights reserved.