59 Tuckerton Avenue, Barnegat, NJ 08005
Local realty services provided by:CENTURY 21 Mack-Morris Iris Lurie Inc
59 Tuckerton Avenue,Barnegat, NJ 08005
$125,000
- 1.67 Acres
- Lots / Land
- Active
Listed by: anthony disanzo
Office: compass new jersey , llc.
MLS#:22604744
Source:NJ_MOMLS
Price summary
- Price:$125,000
About this home
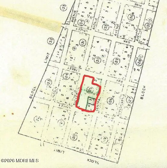
These three total lots (Block 125 Lots 1,3,4) are within walking distance to the local high school and close to shopping, dining, and entertainment. Commuters will appreciate the convenient access to the Garden State Parkway and U.S. Route 9. The lots are located just beyond the end of the currently installed street and will require a short extension to provide access for future owners and emergency services. The price has been adjusted to reflect the cost of the required street construction, creating an excellent opportunity for builders or investors.
Contact an agent
Home facts
- Listing ID #:22604744
- Added:59 day(s) ago
- Updated:April 25, 2026 at 02:32 PM
Structure and exterior
- Lot area:1.67 Acres
- Lot Features:Irregular Lot, Level, Paper Street, Wooded
Schools
- High school:Barnegat High
- Middle school:Russ Brackman
- Elementary school:Robert L. Horbelt
Finances and disclosures
- Price:$125,000
- Tax amount:$561 (2025)
New listings near 59 Tuckerton Avenue
- Open Sun, 1 to 3pmNew
$369,000Active2 beds 2 baths1,420 sq. ft.12 Dogwood Drive, Barnegat, NJ 08005
MLS# 22611658Listed by: C21/ SOLID GOLD REALTY - Open Sun, 1 to 3pmNew
$369,900Active2 beds 2 baths1,420 sq. ft.12 Dogwood Dr, BARNEGAT, NJ 08005
MLS# NJOC2041678Listed by: SOLID GOLD REALTY - New
$595,000Active4 beds 3 baths2,343 sq. ft.72 Lamp Post Drive, Barnegat, NJ 08005
MLS# 22611577Listed by: CROSSROADS REALTY, INC. - New
$172,000Active2 beds 2 baths17 Susan Drive, Barnegat, NJ 08005
MLS# 22611591Listed by: EXP REALTY - New
$139,900Active2 beds 2 baths1,000 sq. ft.5 Ruth Rd, BARNEGAT, NJ 08005
MLS# NJOC2041640Listed by: KELLER WILLIAMS REALTY PREFERRED PROPERTIES - New
$500,000Active2 beds 2 baths1,872 sq. ft.74 Pond View Cir, BARNEGAT, NJ 08005
MLS# NJOC2041406Listed by: RE/MAX AT BARNEGAT BAY - MANAHAWKIN - New
$450,000Active4 beds 3 baths2,172 sq. ft.104 Spruce Circle, Barnegat, NJ 08005
MLS# 22611354Listed by: SIGNATURE REALTY NJ - Open Sun, 11am to 1pmNew
$775,000Active3 beds 3 baths1,760 sq. ft.232 Montclair Road, Barnegat, NJ 08005
MLS# 22611203Listed by: RE/MAX AT BARNEGAT BAY - Open Sat, 11am to 2pmNew
$479,000Active2 beds 2 baths1,756 sq. ft.20 Turtle Creek Run #20, Barnegat, NJ 08005
MLS# 22611138Listed by: RE/MAX 1ST. ADVANTAGE - New
$389,900Active2 beds 2 baths1,258 sq. ft.27 Jumping Brook Lane, Barnegat, NJ 08005
MLS# 22611107Listed by: KELLER WILLIAMS PREFERRED PROPERTIES,BAYVILLE