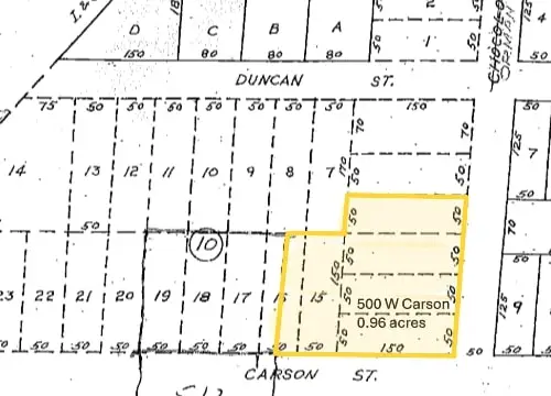
500 W Carson Street, Bryan, TX 77801
Local realty services provided by:CENTURY 21 North East
500 W Carson Street,Bryan, TX 77801
$644,000
- 0.93 Acres
- Lots / Land
- Active
Listed by: brandon stribling
Office: cortiers real estate
MLS#:24013000
Source:TX_BCSR
Price summary
- Price:$644,000
About this home
0.93 acre Corner Commercial Lot with flexible MTC zoning! Development of 4 bedroom / 4 bathroom townhouses may be allowed on this tract - contact broker for details. High-speed fiber optic internet cable recently installed on property - ready to be incorporated into your design. $70M+ Midtown Park! This fantastic hard corner property, with over 220’ of frontage on Carson & approximately 200’ frontage on Orman, includes more than 5 oversized (50’x150’) lots and is situated on the NE edge of the park complex across the street from Bombers Ballpark and the beautifully renovated & award winning Travis Fields. Travis Bryan Midtown Park is an emerging economic engine featuring the Legends Event Center, Topgolf, Travis fields, & Bombers Ballpark. Additional amenities include the Schulman entertainment complex (under construction), featuring a multiplex movie theater, 24 lane bowling alley, microbrewery/restaurant, pickleball courts - all fronting on a lakefront boardwalk. Nearly weekly softball/basketball/volleyball tournaments currently drawing thousand of visitors. This has the potential for development into an outstanding mixed use commercial/residential property and may represent one of the strongest available redevelopment plays in the region!...
Contact an agent
Home facts
- Listing ID #:24013000
- Added:566 day(s) ago
- Updated:February 12, 2026 at 11:45 AM
Structure and exterior
- Lot area:0.93 Acres
- Lot Features:Corner Lot, Open Lot, Trees, Trees Large Size
Utilities
- Water:Public, Water Available
- Sewer:Public Sewer, Sewer Available
Finances and disclosures
- Price:$644,000
New listings near 500 W Carson Street
- New
$366,800Active3 beds 2 baths1,596 sq. ft.5069 Mooney Falls Drive, Bryan, TX 77802
MLS# 26002203Listed by: KELLER WILLIAMS REALTY BRAZOS VALLEY OFFICE - New
$1,875,000Active3 beds 3 baths5,172 sq. ft.10066/10054 Arnold Lane, Bryan, TX 77808
MLS# 5241798Listed by: COLDWELL BANKER APEX, REALTORS LLC - New
$288,000Active3 beds 2 baths1,448 sq. ft.1910 Shimla Court, Bryan, TX 77807
MLS# 26003079Listed by: BHHS CALIBER REALTY - New
$385,900Active4 beds 3 baths2,441 sq. ft.1963 Cambria Drive, Bryan, TX 77807
MLS# 26003092Listed by: SUN REALTY SERVICES - New
$337,500Active3 beds 2 baths1,874 sq. ft.2008 Reagan Court, Bryan, TX 77802
MLS# 26003094Listed by: SUN REALTY SERVICES - New
$332,900Active3 beds 3 baths1,882 sq. ft.2006 Reagan Court, Bryan, TX 77802
MLS# 26003096Listed by: SUN REALTY SERVICES - New
$709,000Active4 beds 3 baths2,678 sq. ft.7386 Garrison Creek Drive, Bryan, TX 77808
MLS# 72161552Listed by: LALLI PROPERTIES - New
$315,000Active3 beds 2 baths1,526 sq. ft.2208 Johnny Lyon Court, Bryan, TX 77807
MLS# 26003080Listed by: TREEHOUSE REAL ESTATE - New
$285,000Active3 beds 2 baths2,119 sq. ft.1407 Skrivanek Drive, Bryan, TX 77802
MLS# 48448726Listed by: COLDWELL BANKER APEX, REALTORS LLC - New
$255,000Active2 beds 2 baths1,130 sq. ft.1557 E East William J Bryan Parkway, Bryan, TX 77803
MLS# 73531331Listed by: COLDWELL BANKER APEX, REALTORS LLC