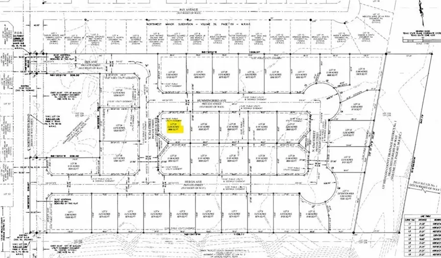
4217 Hummingbird Avenue, McAllen, TX 78504
Local realty services provided by:CENTURY 21 Johnston Company
4217 Hummingbird Avenue,McAllen, TX 78504
$149,500
- 0.19 Acres
- Lots / Land
- Pending
Listed by: irene uribe manrique de lara
Office: texas landmark realty llc
MLS#:483438
Source:TX_GMAR
Price summary
- Price:$149,500
- Monthly HOA dues:$300
About this home
2025 Brings to McAllen Sunset Valley PUD, a condominium subdivision recorded April 2025. Only few lots left to build your fourplex-condominiums. Each unit should be assigned its own Tax ID, Water and Electric Meter. HOA fees will be $75 per unit and will include front grass maintenance, structural insurance and community expenses like Gates, and a beautiful common area park. You can build and sell units individually or keep them all! These great unique lots are for town-houses, 2 story units or Condo on the first floor and top unit on each side. Use the best layout for your homesite! This new location brings novelty and affordable units to first time home buyers, downsizing or investment. A great location between Mile 3 and 4 off Bentsen. Close to everything North McAllen/Mission Area. With great residential communities around it. Only 5 lots left.
Contact an agent
Home facts
- Listing ID #:483438
- Added:162 day(s) ago
- Updated:March 19, 2026 at 04:00 PM
Structure and exterior
- Lot area:0.19 Acres
- Architectural Style:Residential Lot
Schools
- High school:Rowe H.S.
- Middle school:Fossum
- Elementary school:Hendricks
Utilities
- Water:City Water, Public Water, Water Connected
- Sewer:City Sewer, Sewer Connected
Finances and disclosures
- Price:$149,500
- Tax amount:$3,500
Features and amenities
- Amenities:City Garbage, Electricity Connected, Gated, Planned Unit Development (PUD), Sidewalks, Street Lights
New listings near 4217 Hummingbird Avenue
- New
$298,000Active4 beds 3 baths1,716 sq. ft.3501 Harvard Avenue, McAllen, TX 78504
MLS# 498575Listed by: Dominion Real Estate - New
$350,000Active4 beds 3 baths2,502 sq. ft.2421 Robin Avenue, McAllen, TX 78504
MLS# 500085Listed by: Tierra Frontera Llc - New
$249,999Active4 beds 3 baths2,019 sq. ft.2716 Duke Avenue, McAllen, TX 78504
MLS# 500241Listed by: Tierra Frontera Llc - New
$349,900Active4 beds 3 baths1,880 sq. ft.10605 31st Street, McAllen, TX 78504
MLS# 500189Listed by: The Firm Real Estate Co. Llc - New
$348,000Active4 beds 3 baths1,869 sq. ft.10609 31st Street, McAllen, TX 78504
MLS# 500190Listed by: The Firm Real Estate Co. Llc - New
$320,000Active-- beds -- baths3,276 sq. ft.2913 Harvey Drive, McAllen, TX 78501
MLS# 500198Listed by: Saneti Realty Group - New
$450,000Active-- beds -- baths4,648 sq. ft.716 Swallow Avenue W, McAllen, TX 78504
MLS# 498845Listed by: The Agency Austin, Llc - New
$435,000Active3 beds 2 baths2,700 sq. ft.3512 N Cynthia Street, McAllen, TX 78501
MLS# 500196Listed by: Keller Williams Realty Rgv - New
$165,000Active3 beds 1 baths1,273 sq. ft.1305 E Olympia Avenue E #A, McAllen, TX 78503
MLS# 500208Listed by: Nova Realty Enterprise Llc - New
$150,000Active3 beds 2 baths1,725 sq. ft.2612 Helena Avenue, McAllen, TX 78503
MLS# 500039Listed by: Imperio Real Estate Llc