TBD - Lot #2 Constantine Court, Waxahachie, TX 75165
Local realty services provided by:CENTURY 21 Middleton
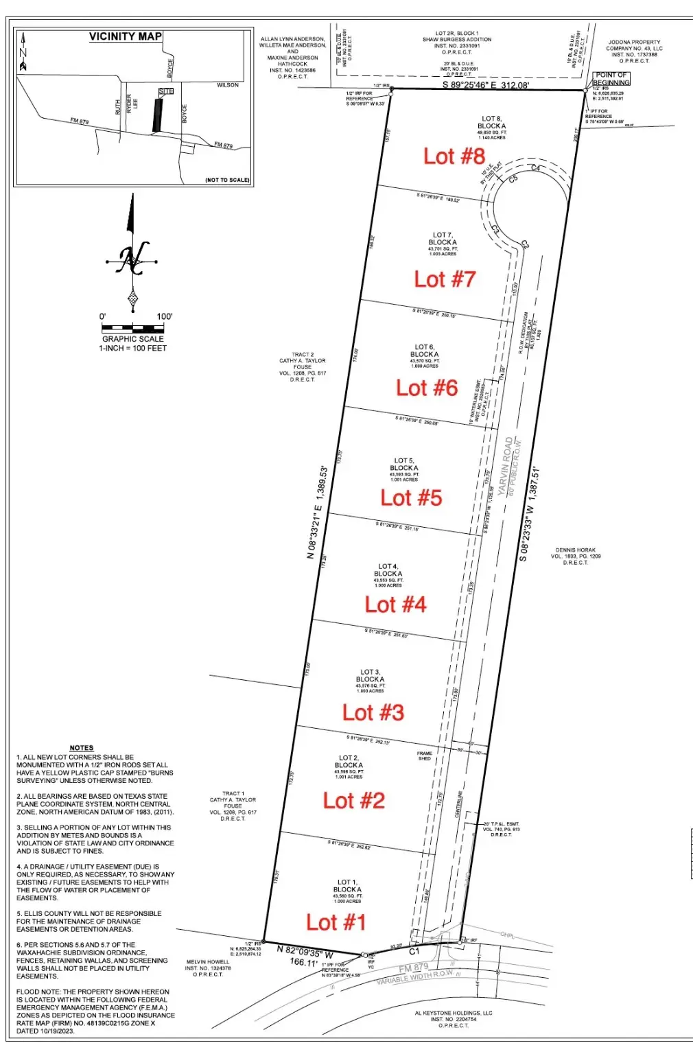
TBD - Lot #2 Constantine Court,Waxahachie, TX 75165
$170,000
- 1 Acres
- Lots / Land
- Active
Listed by: jeff taylor817-360-8499
Office: united country real estate fw
MLS#:21002748
Source:GDAR
Price summary
- Price:$170,000
About this home
Welcome to your future homesite in this brand-new subdivision featuring eight spacious 1+ acre lots. Located just off FM 879 with quick access to Hwy 287, this quiet community offers the perfect balance of privacy and convenience.
Build your dream home outside of city limits, where there are no city taxes and room to breathe. With only eight lots, this neighborhood is small enough to know your neighbors, yet spread out enough to enjoy the peace and space of country living.
Don't miss this rare opportunity to own land in a growing area with easy access to Waxahachie, Midlothian, and the rest of the DFW Metroplex. Utilities available. Bring your own builder. Light restrictions in place to protect property values.
Secure your lot today and start planning your forever home.
Contact an agent
Home facts
- Listing ID #:21002748
- Added:127 day(s) ago
- Updated:December 19, 2025 at 12:48 PM
Structure and exterior
- Lot area:1 Acres
Schools
- High school:Waxahachie
- Elementary school:Oliver Clift
Finances and disclosures
- Price:$170,000
New listings near TBD - Lot #2 Constantine Court
- New
$479,000Active4 beds 3 baths1,971 sq. ft.130 Spring Lake Circle, Waxahachie, TX 75167
MLS# 21135379Listed by: AT HOME TEXAS REAL ESTATE - New
$757,265Active4 beds 3 baths2,719 sq. ft.136 Lana Garden Way, Waxahachie, TX 75165
MLS# 21134439Listed by: EXP REALTY - New
$515,000Active3 beds 3 baths2,450 sq. ft.100 Sumner Lane, Waxahachie, TX 75165
MLS# 21134667Listed by: CENTURY 21 JUDGE FITE CO. - New
$225,000Active3 beds 2 baths1,016 sq. ft.309 Gravel Street, Waxahachie, TX 75165
MLS# 21134500Listed by: OMNIKEY REALTY, LLC. - New
$94,999Active0.59 Acres212 Peters Street, Waxahachie, TX 75165
MLS# 21133281Listed by: NNN ADVISOR, LLC - New
$150,000Active2 beds 1 baths1,098 sq. ft.304 E Criddle Street, Waxahachie, TX 75165
MLS# 21133053Listed by: JASON MITCHELL REAL ESTATE - New
$394,500Active3 beds 2 baths2,050 sq. ft.514 N Rogers Street, Waxahachie, TX 75165
MLS# 21132755Listed by: EXP REALTY LLC - Open Sat, 1 to 5pmNew
$479,900Active4 beds 4 baths2,962 sq. ft.523 Blackwater Trail, Waxahachie, TX 75165
MLS# 21132690Listed by: PINNACLE REALTY ADVISORS - Open Sat, 11am to 5pmNew
$499,900Active4 beds 4 baths3,554 sq. ft.524 Winchester Way, Waxahachie, TX 75165
MLS# 21132667Listed by: PINNACLE REALTY ADVISORS - New
$220,000Active3 beds 2 baths1,292 sq. ft.505 Perry Avenue, Waxahachie, TX 75165
MLS# 21129744Listed by: PEAK POINT REAL ESTATE