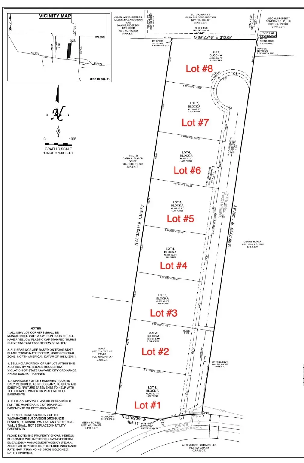
TBD - Lot #6 Constantine Court, Waxahachie, TX 75165
Local realty services provided by:CENTURY 21 Middleton
TBD - Lot #6 Constantine Court,Waxahachie, TX 75165
$170,000
- 1 Acres
- Lots / Land
- Active
Listed by: jeff taylor817-360-8499
Office: united country real estate fw
MLS#:21002797
Source:GDAR
Price summary
- Price:$170,000
About this home
Welcome to your future homesite in this brand-new subdivision featuring eight spacious 1+ acre lots. Located just off FM 879 with quick access to Hwy 287, this quiet community offers the perfect balance of privacy and convenience.
Build your dream home outside of city limits, where there are no city taxes and room to breathe. With only eight lots, this neighborhood is small enough to know your neighbors, yet spread out enough to enjoy the peace and space of country living.
Don't miss this rare opportunity to own land in a growing area with easy access to Waxahachie, Midlothian, and the rest of the DFW Metroplex. Utilities available. Bring your own builder. Light restrictions in place to protect property values.
Secure your lot today and start planning your forever home.
Contact an agent
Home facts
- Listing ID #:21002797
- Added:209 day(s) ago
- Updated:March 11, 2026 at 11:39 AM
Structure and exterior
- Lot area:1 Acres
- Lot Features:Subdivision
Schools
- High school:Waxahachie
- Elementary school:Oliver Clift
Finances and disclosures
- Price:$170,000
New listings near TBD - Lot #6 Constantine Court
- New
$550,000Active3 beds 2 baths3,025 sq. ft.3142 S Highway 287, Waxahachie, TX 75165
MLS# 21203457Listed by: COLDWELL BANKER REALTY - New
$312,000Active3 beds 2 baths1,743 sq. ft.116 Bison Meadow Drive, Waxahachie, TX 75165
MLS# 21203458Listed by: COLDWELL BANKER REALTY - New
$415,000Active4 beds 3 baths2,761 sq. ft.105 Canyon Court, Waxahachie, TX 75167
MLS# 21197758Listed by: BRIGGS FREEMAN SOTHEBY'S INT'L - New
$449,990Active5 beds 4 baths3,623 sq. ft.425 Hundred Acre Drive, Waxahachie, TX 75165
MLS# 21204166Listed by: HOMESUSA.COM - New
$429,990Active4 beds 3 baths2,653 sq. ft.440 Hundred Acre Drive, Waxahachie, TX 75165
MLS# 21204192Listed by: HOMESUSA.COM - New
$429,990Active4 beds 3 baths2,667 sq. ft.433 Hundred Acre Drive, Waxahachie, TX 75165
MLS# 21204196Listed by: HOMESUSA.COM - New
$452,490Active5 beds 4 baths3,639 sq. ft.441 Hundred Acre Drive, Waxahachie, TX 75165
MLS# 21204212Listed by: HOMESUSA.COM - Open Sat, 1 to 3pmNew
$520,000Active4 beds 4 baths3,084 sq. ft.602 Dean Box Drive, Waxahachie, TX 75165
MLS# 21196346Listed by: CENTURY 21 JUDGE FITE CO. - New
$799,999Active4 beds 5 baths3,786 sq. ft.2521 Grant Michael Trail, Waxahachie, TX 75167
MLS# 21201075Listed by: FATHOM REALTY, LLC - New
$320,490Active3 beds 2 baths1,614 sq. ft.194 Delta Road, Waxahachie, TX 75165
MLS# 21203582Listed by: JEANETTE ANDERSON REAL ESTATE