0 NE State Highway 104, Kingston, WA 98346

Local realty services provided by:CENTURY 21 Lund, Realtors
Listed by: jesse savage, david r knight
Office: paramount real estate group
MLS#:2500845
Source:NWMLS
0 NE State Highway 104,Kingston, WA 98346
$429,950
  • 24.21 Acres
  • Lots / Land
  • Active

Price summary

  • Price:$429,950

About this home

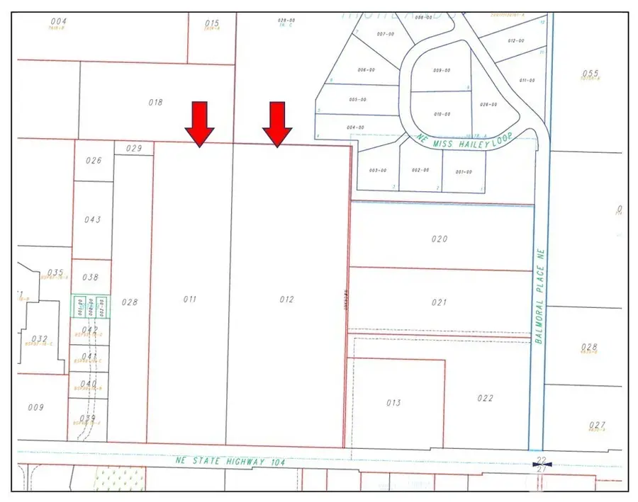
Develop your own homestead estate on 24 acres of freedom and possibility. These sprawling parcels, sold together, feel like a private countryside retreat, yet just a few minutes to the Kingston ferry and downtown shops, restaurants and amenities. Zoned Rural Protection, the land supports agricultural uses such as horses, small livestock, gardens, pastures and orchards making it ideal for those seeking a functional mini-farm or equestrian lifestyle. Unlock this future legacy property with farm-to-table potential or even off-grid lifestyle with the convenience of a great location. The acreage is mostly level and zoning support a large-footprint custom home with ADU potential + lots of room for shop, barn or maybe even an equestrian arena. The West parcel has a creek and partial wetland critical areas allowing for your own private park-like natural habitat. Septic and private well needed. Survey available but no other feasibility reports have been completed. Raw and untouched for...

Contact an agent

contact an agent

Yes, I would like more information. Please use and/or share my information with an independent agent affiliated with the CENTURY 21®  brand to contact me about my real estate needs. By clicking Send message, I request to be contacted by phone or text message and consent to being contacted by automated means. I understand that my consent to receive calls or texts is not a condition of purchasing any property, goods, or services. Alternatively, I understand that I can access real estate services by email or I can contact the agent myself.

If an independent agent affiliated with the CENTURY 21®  brand is not available in the area where I need assistance, I agree to be contacted by a real estate agent affiliated with another brand owned or licensed by Anywhere Real Estate (BHGRE® , Coldwell Banker® , Corcoran® , ERA® , Sotheby's International Realty® ).
 I acknowledge that I have read and agree to theTerms of useandPrivacy notice

Home facts

  • Listing ID #:2500845
  • Updated:April 06, 2026 at 12:35 AM

Structure and exterior

  • Lot area:24.21 Acres
  • Lot Features:Paved, Secluded

Utilities

  • Water:Well Needed

Finances and disclosures

  • Price:$429,950
  • Tax amount:$3,731 (2026)
MLS LogoListings courtesy of Northwest MLS as distributed by MLS GRID. Based on information submitted to the MLS GRID as of April 6, 2026. All data is obtained from various sources and may not have been verified by broker or MLS GRID. Supplied Open House Information is subject to change without notice. All information should be independently reviewed and verified for accuracy. Properties may or may not be listed by the office/agent presenting the information. Listing information is provided for consumers' personal, non-commercial use, solely to identify prospective properties for potential purchase; all other use is strictly prohibited and may violate relevant federal and state law. Information deemed reliable but not guaranteed. Copyright © 2026 MLS GRID. All Rights Reserved.