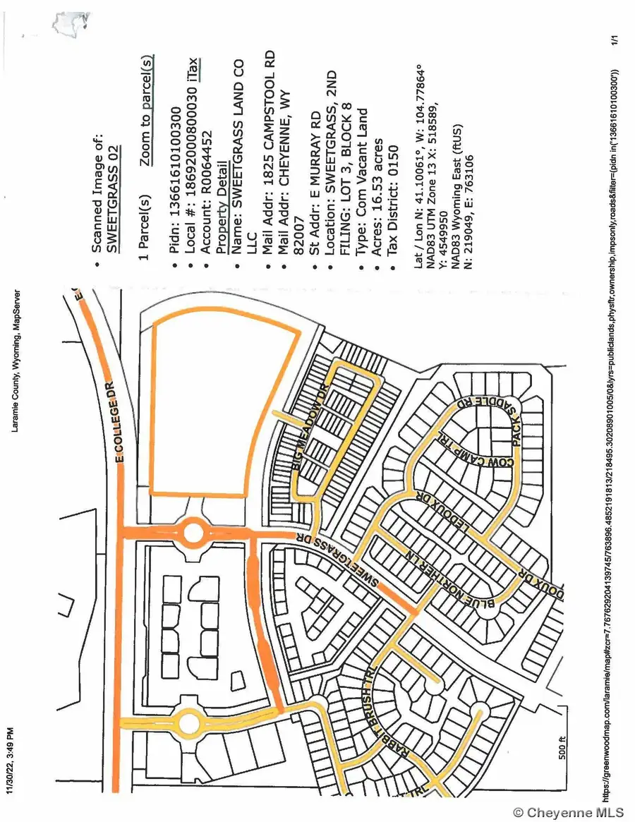
LOT 3 BLOCK 8 Murray Rd, Cheyenne, WY 82007
Local realty services provided by:CENTURY 21 Bell Real Estate
LOT 3 BLOCK 8 Murray Rd,Cheyenne, WY 82007
$3,250,000
- 16.53 Acres
- Lots / Land
- Active
Listed by: jim weaver
Office: #1 properties
MLS#:88311
Source:WY_CBOR
Price summary
- Price:$3,250,000
About this home
Shovel ready lots drive thru capable located off College Blvd with 9,000 ADT. Village can be easily accessed via hike and bike trails residential neighborhoods. Cheyenne Greenway system and Wyoming’s largest community college, nearby employers include F.E. Warren Air Force Base, the State of Wyoming, the U.S. Government, Laramie County School District #1, Cheyenne Regional Medical Center, Union Pacific Railroad, Lowe’s ,Sierra Trading Post, Wal-Mart Distribution Centers and Echo Star.
Contact an agent
Home facts
- Listing ID #:88311
- Added:1092 day(s) ago
- Updated:January 24, 2026 at 03:51 PM
Structure and exterior
- Lot area:16.53 Acres
Utilities
- Water:Public (City) Water
- Sewer:City Sewer
Finances and disclosures
- Price:$3,250,000
New listings near LOT 3 BLOCK 8 Murray Rd
- New
$285,000Active3 beds 2 baths1,288 sq. ft.1118 Lake Pl, Cheyenne, WY 82007
MLS# 99617Listed by: RE/MAX CAPITOL PROPERTIES - New
$305,000Active3 beds 2 baths1,702 sq. ft.1109 S Arp Ave, Cheyenne, WY 82007
MLS# 99613Listed by: RE/MAX CAPITOL PROPERTIES - New
$65,000Active3 beds 1 baths938 sq. ft.702 Dallas Rd, Cheyenne, WY 82007
MLS# 99612Listed by: RE/MAX CAPITOL PROPERTIES - New
$300,000Active3 beds 2 baths1,584 sq. ft.2013 Dunn Ave, Cheyenne, WY 82001
MLS# 99609Listed by: RE/MAX CAPITOL PROPERTIES - New
$96,500Active6.35 AcresLot 246 North Carolina Rd, Cheyenne, WY 82009
MLS# 99610Listed by: REAL WYO REAL ESTATE - Open Sat, 1:15 to 2:45pmNew
$765,000Active3 beds 2 baths3,652 sq. ft.2395 Old Faithful Way, Cheyenne, WY 82009
MLS# 99606Listed by: #1 PROPERTIES - New
$299,000Active2 beds 2 baths2,496 sq. ft.1409 W Jefferson Rd, Cheyenne, WY 82007
MLS# 99607Listed by: COLDWELL BANKER, THE PROPERTY EXCHANGE - Open Sat, 10:30am to 12pmNew
$540,000Active5 beds 3 baths2,622 sq. ft.2130 Blue Norther Ln, Cheyenne, WY 82007
MLS# 99605Listed by: #1 PROPERTIES
$255,000Pending2 beds 2 baths1,200 sq. ft.1532 Copperville Rd, Cheyenne, WY 82001-6558
MLS# 99600Listed by: PEAK PROPERTIES, LLC- Open Sat, 3 to 4:30pmNew
$555,000Active5 beds 3 baths2,304 sq. ft.85 Lupe Rd, Cheyenne, WY 82009
MLS# 99591Listed by: #1 PROPERTIES