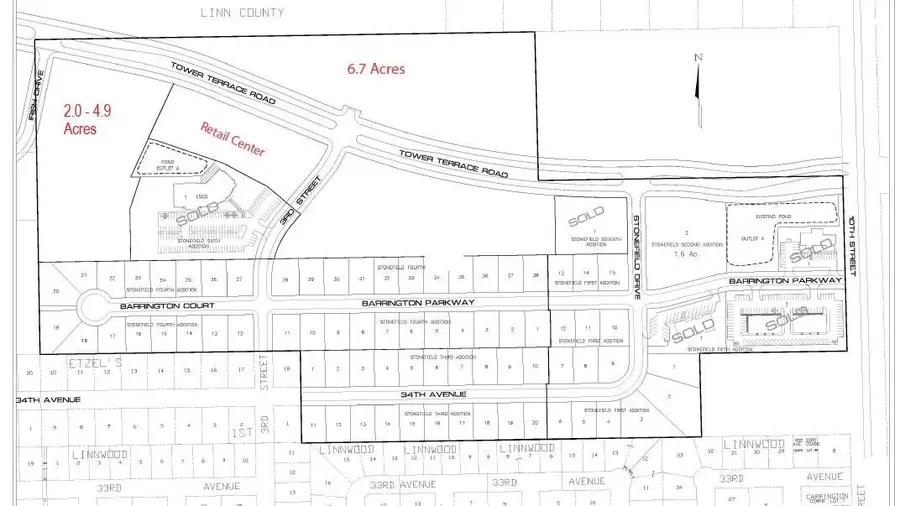
Lot 2 Tower Terrace Rd, Marion, IA 52302
Local realty services provided by:CENTURY 21 Signature Real Estate
Lot 2 Tower Terrace Rd,Marion, IA 52302
$2,188,890
- 6.7 Acres
- Lots / Land
- Active
Listed by: adam gibbs, angie glick
Office: gld commercial real estate advisors
MLS#:202401776
Source:IA_ICAAR
Price summary
- Price:$2,188,890
About this home
Shovel-ready site located on the Tower Terrace Road extension in Marion, near the Linn-Mar campus. This upscale professional park is home to ESCO Group, YMCA, UnityPoint, and other medical and retail users. Price includes a fully developed, level lot with utilities; fiber connectivity is available via IMON. Site size is flexible, with 2 to 6.7 acres available. Preliminary plat is complete; owner will final plat to a buyer’s specific lot size. The City’s new comprehensive plan designates the area as “MU – Mixed Use.” This allows for higher-intensity residential development (over 14 units/acre), including stand-alone multifamily or upper-story residential. The commercial component is intended to complement the residential use with services such as medical or dental clinics, personal services, daycare, assisted living, grocery, retail, restaurants, cafes, and more. Mixed-use developments will be evaluated for mobility, layout, and public open space integration.
Contact an agent
Home facts
- Listing ID #:202401776
- Added:613 day(s) ago
- Updated:December 12, 2025 at 05:05 PM
Structure and exterior
- Lot area:6.7 Acres
Schools
- High school:Linn Mar
- Middle school:Linn Mar
- Elementary school:Linn Mar
Finances and disclosures
- Price:$2,188,890
New listings near Lot 2 Tower Terrace Rd
- New
$438,000Active4 beds 4 baths3,182 sq. ft.1820 Agate Circle, Marion, IA 52302
MLS# 2509769Listed by: SKOGMAN REALTY - New
$295,000Active4 beds 4 baths2,990 sq. ft.2765 26th Avenue, Marion, IA 52302
MLS# 2509772Listed by: PINNACLE REALTY LLC - New
$297,500Active3 beds 3 baths1,987 sq. ft.4420 Calder Dr, Cedar Rapids, IA 52302
MLS# 202507274Listed by: SKOGMAN REALTY CO. - Open Sun, 12 to 1:30pmNew
$297,500Active3 beds 3 baths1,987 sq. ft.4420 Calder Dr, Marion, IA 52302
MLS# 2509731Listed by: SKOGMAN REALTY CORRIDOR - New
$212,500Active3 beds 2 baths1,318 sq. ft.1055 17th Street, Marion, IA 52302
MLS# 2509733Listed by: KELLER WILLIAMS LEGACY GROUP - New
$259,900Active4 beds 3 baths2,066 sq. ft.1103 26th Street, Marion, IA 52302
MLS# 2509724Listed by: RE/MAX CONCEPTS - New
$309,900Active3 beds 3 baths1,931 sq. ft.3490 Whitehall Ave, Marion, IA 52302
MLS# 202507243Listed by: KELLER WILLIAMS ADVANTAGE - Open Sun, 2 to 3:30pmNew
$325,000Active4 beds 2 baths1,795 sq. ft.1620 Hillcrest Court, Marion, IA 52302
MLS# 2509667Listed by: REALTY87 - New
$250,000Active3 beds 3 baths1,500 sq. ft.885 Alpine Road, Marion, IA 52302
MLS# 2509640Listed by: PINNACLE REALTY LLC - Open Sun, 1 to 2:30pmNew
$158,900Active2 beds 1 baths1,346 sq. ft.905 Knollcrest, Marion, IA 52302
MLS# 2509664Listed by: PINNACLE REALTY LLC