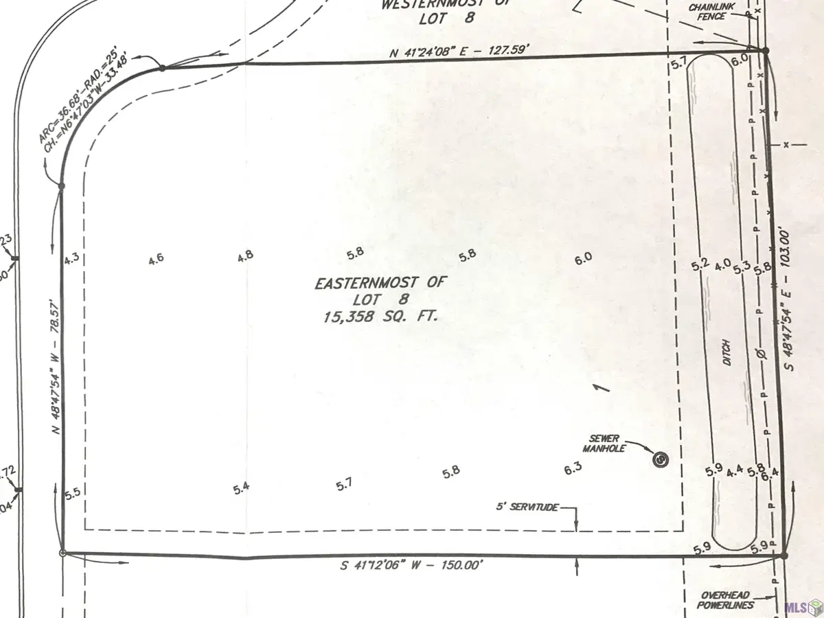
14 Professional Drive, Houma, LA 70360
Local realty services provided by:CENTURY 21 Action Realty
14 Professional Drive,Houma, LA 70360
$100,000
- 0.35 Acres
- Lots / Land
- Active
Listed by: mike b heck
Office: heck realty, inc.
MLS#:BY2023015756
Source:LA_RAAMLS
Price summary
- Price:$100,000
About this home
Pleanty of opportunities with this .35 acre lot on Professional Drive off of heavily travelled West Tunnel Blvd located in West Houma. Recently upgraded drainage culverts and catch basins around subject property. Located in zone C-5 and X Flood Zone "minimal flood hazard" as per 9-7-23 Louisiana flood map. GREAT for professional office buildings, office with warehouse, medical facilities, retail and many other endeavors. All information to be verified by Purchaser.
Contact an agent
Home facts
- Listing ID #:BY2023015756
- Added:187 day(s) ago
- Updated:April 05, 2026 at 02:58 PM
Structure and exterior
- Lot area:0.35 Acres
- Lot Features:Interior Lot, Level, Lot Staked
- Architectural Style:Commercial
Finances and disclosures
- Price:$100,000
Features and amenities
- Amenities:Electricity Connected, Natural Gas Available
New listings near 14 Professional Drive
- New
$260,000Active3 beds 2 baths2,500 sq. ft.815 School St, Houma, LA 70360
MLS# BY2026005980Listed by: PROPRIE'TE' SHOPPE, LLC
$70,000Pending2 beds 2 baths957 sq. ft.226 Cherry St, Houma, LA 70364
MLS# BY2026005978Listed by: KELLER WILLIAMS REALTY BAYOU P- New
$229,900Active3 beds 2 baths1,368 sq. ft.398 Galvez Lane, Houma, LA 70363
MLS# BY2026005947Listed by: KELLER WILLIAMS REALTY BAYOU P - New
$549,000Active3 beds 4 baths3,263 sq. ft.2314 Bayou Blue Road, Houma, LA 70364
MLS# NO2551110Listed by: MIRAMBELL REALTY
$239,900Pending3 beds 2 baths2,194 sq. ft.7705 Park Ave, Houma, LA 70364
MLS# BY2026005922Listed by: SAVIOR PROPERTY MANAGEMENT, LLC- New
$140,000Active2 beds 2 baths1,100 sq. ft.132 Saxony Dr, Houma, LA 70364
MLS# BY2026005914Listed by: BAYOU CLASSIC REALTY, LLC - New
$155,000Active2 beds 1 baths1,224 sq. ft.616 Wilson Ave, Houma, LA 70364
MLS# BY2026005903Listed by: CANAL & MAIN REALTY - New
$469,900Active4 beds 3 baths2,159 sq. ft.135 Godchaux Drive, Houma, LA 70360
MLS# BY2026005880Listed by: KELLER WILLIAMS REALTY BAYOU P
$239,900Pending3 beds 2 baths2,194 sq. ft.7705 Park Ave, Houma, LA 70364
MLS# 2026005922Listed by: SAVIOR PROPERTY MANAGEMENT, LLC- New
$35,000Active0.16 Acres1016 Grinage Street, Houma, LA 70360
MLS# BY2026005800Listed by: COLDWELL BANKER LARUSSA REAL ESTATE