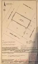
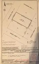
Hutchinson Street, Mandeville, LA 70448
Local realty services provided by:CENTURY 21 Lakeshore
Hutchinson Street,Mandeville, LA 70448
$129,500
- 0.27 Acres
- Lots / Land
- Active
Listed by: dane haaga
Office: prestige properties of louisiana, llc.
MLS#:2538671
Source:LA_GSREIN
Price summary
- Price:$129,500
About this home
Beautiful lot located two lots North of Monroe on Hutchinson St in Old Mandeville. Lot Size 75 x 157. Industrial Zoned per city, Can also be residential or multi-family. Build your dream home and enjoy the charm of the highly coveted Old Mandeville. You will be in walking and biking distance to the Lakefront, Trailhead, Sunset Point, restaurants and shopping. Don't let this one pass you by!
Contact an agent
Home facts
- Listing ID #:2538671
- Added:45 day(s) ago
- Updated:March 03, 2026 at 04:08 PM
Structure and exterior
- Lot area:0.27 Acres
- Lot Features:City Lot, Rectangular Lot
Utilities
- Water:Public
Finances and disclosures
- Price:$129,500
New listings near Hutchinson Street
- New
$399,900Active4 beds 3 baths2,431 sq. ft.530 Markie Drive, Mandeville, LA 70471
MLS# NO2544530Listed by: REMAX ALLIANCE - New
$460,000Active4 beds 2 baths2,353 sq. ft.2941 Desert Court, Mandeville, LA 70448
MLS# 2545254Listed by: COLDWELL BANKER TEC - New
$779,000Active4 beds 3 baths3,543 sq. ft.537 Evergreen Drive, Mandeville, LA 70448
MLS# NO2545511Listed by: THE W GROUP REAL ESTATE LLC - New
$775,000Active4 beds 4 baths3,889 sq. ft.77 Mark Smith Drive, Mandeville, LA 70471
MLS# NO2542971Listed by: BERKSHIRE HATHAWAY HOMESERVICES PREFERRED, REALTOR - New
$140,000Active1.05 AcresSq 314 A-3 Dupre St. Street, Mandeville, LA 70448
MLS# NO2544183Listed by: KELLER WILLIAMS REALTY SERVICES - New
$275,000Active4 beds 3 baths2,145 sq. ft.137 Richland Drive, Mandeville, LA 70448
MLS# NO2545215Listed by: REMAX ALLIANCE - Open Wed, 12 to 2pmNew
$255,000Active3 beds 2 baths1,282 sq. ft.820 Joans Street, Mandeville, LA 70448
MLS# 2545251Listed by: CRESCENT SOTHEBY'S INTL REALTY - New
$245,000Active2 beds 2 baths1,369 sq. ft.645 Tete Lours Drive #1, Mandeville, LA 70471
MLS# NO2544724Listed by: COMPASS COVINGTON (LATT27) - New
$249,000Active2 beds 3 baths1,750 sq. ft.207 Tops L Drive #B4, Mandeville, LA 70448
MLS# NO2545139Listed by: ALL AROUND REALTY, LLC - Open Sun, 1 to 4pmNew
$1,395,000Active4 beds 4 baths4,900 sq. ft.5 Heron Lane, Mandeville, LA 70471
MLS# 2545016Listed by: UNITED REAL ESTATE PARTNERS LLC