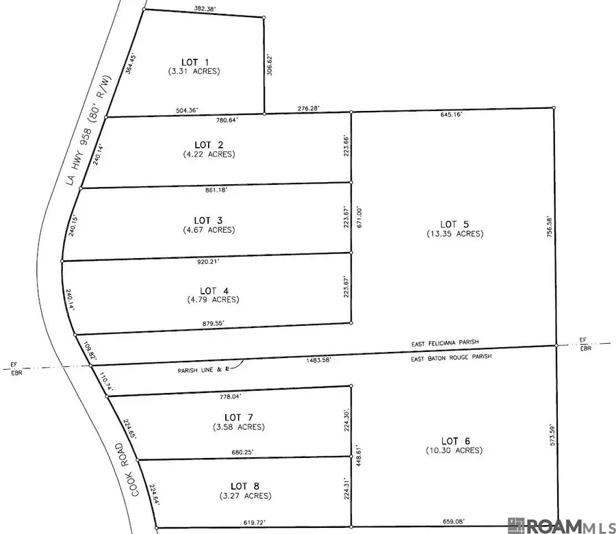
TBD Lot 5 La Hwy 958, Slaughter, LA 70777
Local realty services provided by:CENTURY 21 Action Realty
TBD Lot 5 La Hwy 958,Slaughter, LA 70777
$246,975
- 13.35 Acres
- Lots / Land
- Active
Listed by: kellye moody
Office: ll moody properties llc.
MLS#:2026001980
Source:LA_GBRMLS
Price summary
- Price:$246,975
About this home
Welcome to a rare opportunity to create your dream property on 13+ acres of pristine, mostly cleared land located in East Feliciana Parish. Embrace the charm, scenic landscape, friendly communities and low taxes in the area. Situated along Hwy 958, you'll enjoy convenient access to essential amenities and transportation routes while still relishing the peace and tranquility of rural living. This parcel's size would be perfect for a few horses and the mostly cleared nature offer endless possibilities! Restrictions are being developed to ensure the land is used responsibly and in a way that aligns with desired standards. At a minimum, there are no mobile homes or barndominiums allowed. Houses must be site built on concrete slab with a minimum living area of 2000 sq ft. If two story, the bottom floor minimum of 1600 sq ft. Driveway must have a concrete apron from edge of road to the right of way line.
Contact an agent
Home facts
- Listing ID #:2026001980
- Added:10 day(s) ago
- Updated:February 11, 2026 at 03:49 PM
Structure and exterior
- Lot area:13.35 Acres
Utilities
- Water:Water Available
- Sewer:Individual Sewer
Finances and disclosures
- Price:$246,975
New listings near TBD Lot 5 La Hwy 958
- New
$89,999Active0.35 Acres537 Highway 19 Highway, Slaughter, LA 70777
MLS# 2541920Listed by: GEAUX SOUTH REALTY LLC - New
$107,400Active3.58 AcresTBD Lot 7 Cook Rd, Slaughter, LA 70777
MLS# 2026002138Listed by: LL MOODY PROPERTIES LLC - New
$98,100Active3.27 AcresTBD Lot 8 Cook Rd, Slaughter, LA 70777
MLS# 2026002139Listed by: LL MOODY PROPERTIES LLC - New
$206,000Active10.3 AcresTBD Lot 6 Cook Rd, Slaughter, LA 70777
MLS# 2026002136Listed by: LL MOODY PROPERTIES LLC
$99,300Active3.31 AcresTBD Lot 1 La Hwy 958, Slaughter, LA 70777
MLS# 2026001962Listed by: LL MOODY PROPERTIES LLC
$105,500Active4.22 AcresTBD Lot 2 La Hwy 958, Slaughter, LA 70777
MLS# 2026001964Listed by: LL MOODY PROPERTIES LLC
$116,750Active4.67 AcresTBD Lot 3 La Hwy 958, Slaughter, LA 70777
MLS# 2026001975Listed by: LL MOODY PROPERTIES LLC
$119,750Active4.79 AcresTBD Lot 4 La Hwy 958, Slaughter, LA 70777
MLS# 2026001985Listed by: LL MOODY PROPERTIES LLC
$81,900Active3.14 AcresLemon Rd, Slaughter, LA 70777
MLS# 2026001235Listed by: RE/MAX PARTNERS