1320 E Milton Avenue #2-D, Youngsville, LA 70508
Local realty services provided by:CENTURY 21 Action Realty
1320 E Milton Avenue #2-D,Youngsville, LA 70508
$2,245,900
- 12.14 Acres
- Lots / Land
- Active
Listed by: rachel capritto
Office: parish realty acadiana
MLS#:22003648
Source:LA_RAAMLS
Price summary
- Price:$2,245,900
About this home
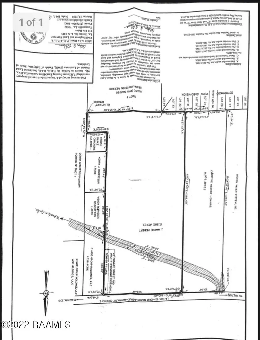
The first plat is the entire property and the second plat is what has been recently sold (lots 2-A & 2-B) & what is reserved (Lot 2-C), being the frontage up to the ditch, anything past the ditch is now listed for sale (lot 2-D). Property did not flood in 2016 and is zone X (not flood).
Contact an agent
Home facts
- Listing ID #:22003648
- Added:595 day(s) ago
- Updated:April 04, 2026 at 02:53 PM
Structure and exterior
- Lot area:12.14 Acres
- Lot Features:Additional Land Available, Lot Staked, Rural
- Architectural Style:Commercial
Schools
- High school:Call School Board
- Middle school:Call School Board
Finances and disclosures
- Price:$2,245,900
Features and amenities
- Amenities:Cable Available
New listings near 1320 E Milton Avenue #2-D
- New
$252,535Active3 beds 2 baths1,522 sq. ft.114 Maroon Street, Youngsville, LA 70592
MLS# 2600002788Listed by: CICERO REALTY LLC - New
$345,500Active3 beds 2 baths1,626 sq. ft.108 Provincetown Lane, Youngsville, LA 70592
MLS# 2600002754Listed by: LAMPLIGHTER REALTY, LLC - New
$270,000Active3 beds 2 baths1,863 sq. ft.214 Forest Grove Drive, Youngsville, LA 70592
MLS# 2600002711Listed by: THE GLEASON GROUP - New
$550,000Active4 beds 4 baths2,650 sq. ft.106 Pleasant Lake Drive, Youngsville, LA 70592
MLS# 2600002684Listed by: KELLER WILLIAMS REALTY ACADIANA
$199,500Pending3 beds 2 baths1,403 sq. ft.107 Village Green Drive, Youngsville, LA 70592
MLS# 2600002651Listed by: EXP REALTY, LLC- New
$155,000Active0.45 Acres210 Ivy Cottage Drive, Youngsville, LA 70592
MLS# 2600002634Listed by: KELLER WILLIAMS REALTY ACADIANA - New
$349,900Active3 beds 2 baths2,006 sq. ft.228 Santander Drive, Youngsville, LA 70592
MLS# 2600002630Listed by: ICON REAL ESTATE CO - New
$265,000Active3 beds 2 baths1,603 sq. ft.210 Cedar Grove Drive, Youngsville, LA 70592
MLS# 2600002617Listed by: REAL BROKER, LLC - New
$265,000Active4 beds 3 baths2,086 sq. ft.112 Fortune Hill Gardens Lane, Youngsville, LA 70592
MLS# 2600002572Listed by: REAL BROKER, LLC - New
$344,000Active3 beds 2 baths1,982 sq. ft.101 Talon Road, Youngsville, LA 70592
MLS# 2600002562Listed by: COMPASS