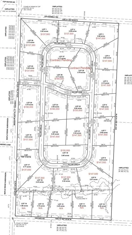
Lot 9 Pillar Circle, Bates City, MO 64011

Local realty services provided by:CENTURY 21 Crossroads
Lot 9 Pillar Circle,Bates City, MO 64011
$147,500
  • 0 Acres
  • Lots / Land
  • Active
Listed by: asheley sisk
Office: re/max heritage
MLS#:2586620
Source:Bay East, CCAR, bridgeMLS

Price summary

  • Price:$147,500
  • Monthly HOA dues:$20.83

About this home

Welcome to II Pillar Estates - where timeless charm meets modern convenience. Discover an exceptional opportunity to own a spacious acreage lot within this highly sought-after community. Each homesite offers the perfect balance of privacy, open space, and scenic countryside views - an ideal canvas for creating your dream home in a peaceful, picturesque setting. Enjoy the best of both worlds with Lafayette County taxes and a prime location just minutes from city amenities, shopping, dining, and Odessa schools - all while embracing the tranquility of country living. With paved roads, established utilities, and well-planned infrastructure, II Pillar Estates provides a seamless building experience from start to finish. Don’t miss your chance to join this thoughtfully designed community - where open space, convenience, and quality living come together in perfect harmony. Bring your builder, or let us connect you with one. II Pillar Estates – Spacious. Serene. Simply Perfect.

Contact an agent

contact an agent

Yes, I would like more information. Please use and/or share my information with an independent agent affiliated with the CENTURY 21®  brand to contact me about my real estate needs. By clicking Send message, I request to be contacted by phone or text message and consent to being contacted by automated means. I understand that my consent to receive calls or texts is not a condition of purchasing any property, goods, or services. Alternatively, I understand that I can access real estate services by email or I can contact the agent myself.

If an independent agent affiliated with the CENTURY 21®  brand is not available in the area where I need assistance, I agree to be contacted by a real estate agent affiliated with another brand owned or licensed by Anywhere Real Estate (BHGRE® , Coldwell Banker® , Corcoran® , ERA® , Sotheby's International Realty® ).
 I acknowledge that I have read and agree to theTerms of useandPrivacy notice

Home facts

  • Listing ID #:2586620
  • Added:84 day(s) ago
  • Updated:January 30, 2026 at 06:33 PM

Utilities

  • Water:Rural - Verify

Finances and disclosures

  • Price:$147,500
MLS LogoBay East ©2026. CCAR ©2026. bridgeMLS ©2026. Information Deemed Reliable But Not Guaranteed. This information is being provided by the Bay East MLS, or CCAR MLS, or bridgeMLS. The listings presented here may or may not be listed by the Broker/Agent operating this website. This information is intended for the personal use of consumers and may not be used for any purpose other than to identify prospective properties consumers may be interested in purchasing. Data <Last Updated January 30, 2026