- CENTURY 21 Real Estate
- Tennessee
- Grandview
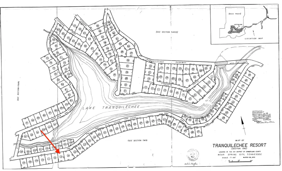
- 0 Lot 113 Bear Den Trail
0 Lot 113 Bear Den Trail, Grandview, TN 37337
Local realty services provided by:CENTURY 21 Legacy
0 Lot 113 Bear Den Trail,Grandview, TN 37337
$25,000
- 0.35 Acres
- Lots / Land
- Active
Listed by: darren miller, faith myers
Office: exp realty - cleveland
MLS#:20254760
Source:TN_RCAR
Price summary
- Price:$25,000
About this home
Escape to your own private retreat on Lake Tranquileechee in Eastern Tennessee!
This wooded lot offers a peaceful setting all while being a short trip to the heart of Knoxville or Chattanooga. Enjoy the endless outdoor recreation right in your backyard—fish, swim, boat, or simply relax by the lake with a picnic and take in the view.
Bring your house plans and envision your dream home nestled among the trees. With charm, natural beauty, and serene lakefront surroundings, this property is a true hidden gem!
The seller notes that owning a lake lot at Lake Tranquileechee grants you EXCLUSIVE access to private hunting and fishing privileges!
Contact an agent
Home facts
- Listing ID #:20254760
- Added:113 day(s) ago
- Updated:January 29, 2026 at 03:44 PM
Structure and exterior
- Lot area:0.35 Acres
Schools
- High school:Cumberland County High School
- Middle school:Homestead
- Elementary school:Homestead
Finances and disclosures
- Price:$25,000
- Tax amount:$14
New listings near 0 Lot 113 Bear Den Trail
- New
$535,000Active3 beds 3 baths2,183 sq. ft.1680 Doc Loy Road, Grandview, TN 37337
MLS# 20260385Listed by: WALLACE REAL ESTATE-TN VALLEY - New
$599,900Active71.98 Acres329 Flower Garden Road, Grandview, TN 37337
MLS# 20260319Listed by: RE/MAX EXPERIENCE
$349,900Active3 beds 2 baths3,190 sq. ft.11 Cedar Hill Road, Grandview, TN 37337
MLS# 1524987Listed by: BLUE KEY PROPERTIES LLC
$129,900Pending1 beds 1 baths960 sq. ft.6329 Wassom Memorial Highway, Grandview, TN 37337
MLS# 20255372Listed by: COLDWELL BANKER PRYOR REALTY- DAYTON
$25,000Active0.36 Acres0 Lot 139 Bear Den Trail, Grandview, TN 37337
MLS# 20254761Listed by: EXP REALTY - CLEVELAND
$25,000Active0.18 Acres0 Lot 153 Bear Den Trail, Grandview, TN 37337
MLS# 20254762Listed by: EXP REALTY - CLEVELAND
$25,000Active0.28 Acres0 Lot 51 Sleepy Hollow Road, Grandview, TN 37337
MLS# 20254763Listed by: EXP REALTY - CLEVELAND
$25,000Active0.31 Acres0 Lot 54 Pleasant Park, Grandview, TN 37337
MLS# 20254764Listed by: EXP REALTY - CLEVELAND
$25,000Active0.21 Acres0 Lot 103 Bear Den Trail, Grandview, TN 37337
MLS# 20254756Listed by: EXP REALTY - CLEVELAND