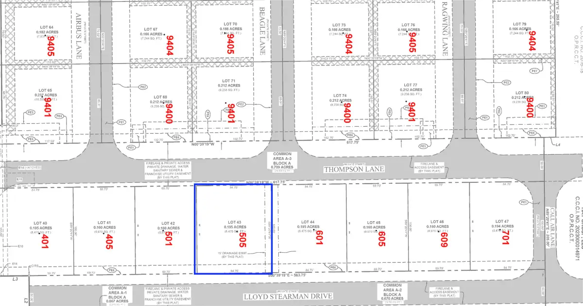
505 Lloyd Stearman Drive, McKinney, TX 75071
Local realty services provided by:CENTURY 21 Alliance Properties
Listed by: jeanie cline
Office: airspace
MLS#:21188529
Source:GDAR
Price summary
- Price:$425,000
- Monthly HOA dues:$541.67
About this home
CALLING ALL AVIATORS, CAR COLLECTORS & JET-SET AFICIONADOS: We have released a limited offering of residential hangar-home lots, offering you the freedom to bring your builder & design the ultimate lifestyle: Your home. Your vision. Only 8 residential lots are available in this release. Roll your airplane out of your own hangar for a wheels-up weekend. Bring your car collection, boats, RV's and toys! The lock-and-leave lifestyle, is the perfect setup for the jet-set! Prosper ISD, close to Frisco, Prosper, Plano & all major DFW amenities, with the freedom you only get when your commute ends at a taxiway, or your driveway. Behind the gates of Aero Country East, the community includes a resort-style pool, cabana, & a relaxed airpark vibe. Taxi straight from your hangar. Aero Country features a paved & lighted 17-35 runway: 3,002’ x 60’ + add. 1,350’ of turf, on the north end. Plenty of room for taildraggers, RVs, turboprops, & everything in between. Night ops are smooth, patterns are friendly. The airport is established, active, & known for its tight-knit GA community & weekend ramp gatherings. If you’ve dreamed of a place where your airplane is steps from your living room, & your rooftop deck overlooks the runway -this is it! A limited number of residential Lots will be released at T31. Bring your builder, bring your aircraft, & make your hangar home a reality. When they’re gone, they’re gone....
Contact an agent
Home facts
- Listing ID #:21188529
- Added:54 day(s) ago
- Updated:April 19, 2026 at 11:53 AM
Structure and exterior
- Lot area:0.19 Acres
- Lot Features:City Lot, Subdivision
Schools
- High school:Rock Hill
- Middle school:Jones
- Elementary school:Jim and Betty Hughes
Finances and disclosures
- Price:$425,000
- Tax amount:$2,860
New listings near 505 Lloyd Stearman Drive
- New
$439,900Active3 beds 2 baths1,948 sq. ft.1025 Lancaster Drive, McKinney, TX 75071
MLS# 21238201Listed by: KELLER WILLIAMS CENTRAL - New
$669,900Active4 beds 4 baths3,480 sq. ft.1109 Chambers Creek Cove, McKinney, TX 75071
MLS# 21238218Listed by: KELLER WILLIAMS CENTRAL - New
$434,900Active3 beds 2 baths2,168 sq. ft.4017 Plymouth Drive, McKinney, TX 75070
MLS# 21244108Listed by: UNIVERSAL REALTY, INC
$548,900Pending3 beds 2 baths1,984 sq. ft.232 Spruce Brook Drive, McKinney, TX 75071
MLS# 21243948Listed by: PERRY HOMES REALTY LLC- New
$398,000Active3 beds 2 baths1,780 sq. ft.2800 Scott Place, McKinney, TX 75072
MLS# 21243893Listed by: TOPSKY REALTY TEXAS INC - New
$524,900Active3 beds 2 baths1,984 sq. ft.7309 Pinales Way, McKinney, TX 75071
MLS# 21243907Listed by: PERRY HOMES REALTY LLC - New
$549,900Active4 beds 3 baths2,049 sq. ft.300 Spruce Brook Drive, McKinney, TX 75071
MLS# 21243931Listed by: PERRY HOMES REALTY LLC - New
$589,990Active4 beds 3 baths2,599 sq. ft.9420 Gossamer Street, McKinney, TX 75071
MLS# 21243946Listed by: KELLER WILLIAMS REALTY LONE ST - New
$658,190Active5 beds 3 baths2,992 sq. ft.9400 Gossamer Street, McKinney, TX 75071
MLS# 21243951Listed by: KELLER WILLIAMS REALTY LONE ST - New
$665,990Active4 beds 3 baths3,149 sq. ft.9404 Gossamer St, McKinney, TX 75071
MLS# 21243953Listed by: KELLER WILLIAMS REALTY LONE ST