78 Eton Lane, Cortlandt Manor, NY 10567
Local realty services provided by:CENTURY 21 Hudson Valley Realty
78 Eton Lane,Cortlandt Manor, NY 10567
$950,000
- 16.68 Acres
- Lots / Land
- Active
Listed by: kile boga-ibric, zef camaj
Office: houlihan lawrence inc.
MLS#:978221
Source:OneKey MLS
Price summary
- Price:$950,000
About this home
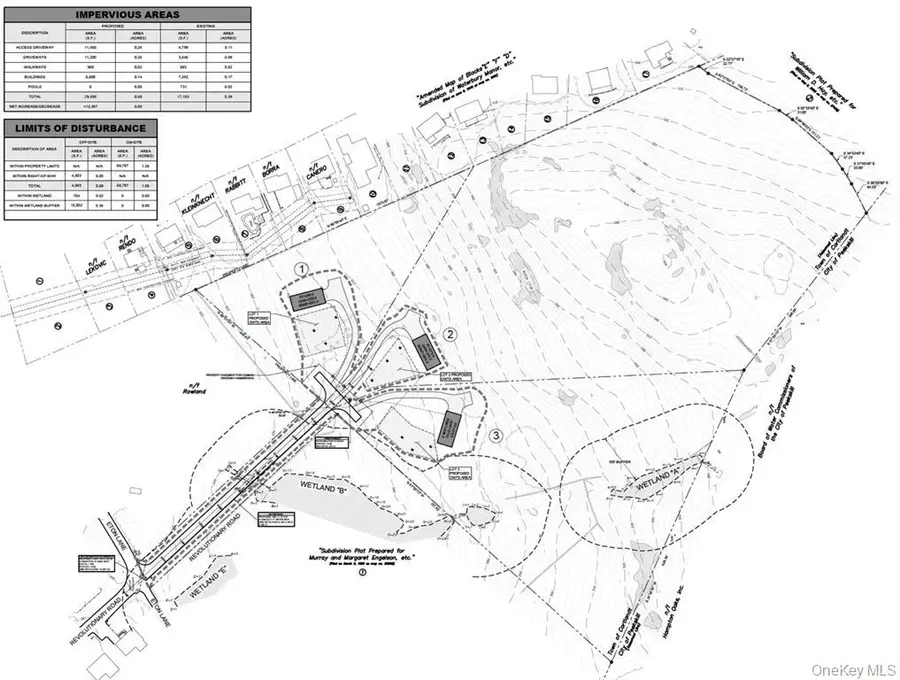
Tucked away in one of Westchester County’s most sought-after locations, Pomona Estates presents a rare, BOHA-approved subdivision opportunity for builders, investors, or end users looking to create something truly special. This exclusive offering consists of three private lots, thoughtfully positioned along a newly established road, with access to town water and the kind of setting that naturally lends itself to luxury new construction.
Each parcel offers space, privacy, and the quiet beauty today’s buyers are searching for. At the heart of it all sits Lot 2, an expansive approximately 10-acre property that opens the door to even greater potential. With the possibility of further subdivision, pending a sewer agreement with a neighboring property, this is where vision and long-term value truly come together.
Located within the desirable Lakeland School District and just minutes to the Peekskill Metro-North Station, Pomona Estates offers a seamless lifestyle with a roughly 60-minute commute to New York City. It is the perfect balance of privacy and accessibility, where homeowners can enjoy the serenity of Northern Westchester while remaining closely connected to the energy of the city.
For builders, this is more than land. It is an opportunity to create luxury homes tailored to today’s discerning buyers. The ability to collaborate with early purchasers, offering customization, elevated finishes, and thoughtful design, adds a layer of exclusivity that not only enhances the end product but also drives stronger demand and sales momentum.
For investors, the upside is clear. For builders, the canvas is ready. And for those with vision, Pomona Estates is where something remarkable begins....
Contact an agent
Home facts
- Listing ID #:978221
- Added:6 day(s) ago
- Updated:April 23, 2026 at 10:48 AM
Structure and exterior
- Lot area:16.68 Acres
Schools
- High school:Walter Panas High School
- Middle school:Lakeland-Copper Beech Middle Sch
- Elementary school:Van Cortlandtville
Finances and disclosures
- Price:$950,000
- Tax amount:$15,457 (2026)
New listings near 78 Eton Lane
- Coming Soon
$869,000Coming Soon5 beds 5 baths139 Watch Hill Road, Cortlandt Manor, NY 10567
MLS# 984331Listed by: BHHS RIVER TOWNS REAL ESTATE - Coming Soon
$449,999Coming Soon2 beds 1 baths198A Locust Avenue, Cortlandt Manor, NY 10567
MLS# 984889Listed by: COLDWELL BANKER REALTY - Open Sun, 12 to 3pmNew
$944,500Active2 beds 3 baths2,265 sq. ft.2272 Dalton Drive, Cortlandt Manor, NY 10567
MLS# 983819Listed by: WILLIAM RAVEIS REAL ESTATE - Open Sun, 1 to 3pmNew
$650,000Active2 beds 2 baths1,466 sq. ft.50 Meadow Sweet Road, Cortlandt Manor, NY 10567
MLS# 986133Listed by: KELLER WILLIAMS REALTY PARTNER - New
$1,290,000Active4 beds 3 baths3,450 sq. ft.57 Chester Court, Cortlandt Manor, NY 10567
MLS# 915206Listed by: BHHS RIVER TOWNS REAL ESTATE - New
$559,999Active4 beds 2 baths1,600 sq. ft.36 Edgewood Road, Cortlandt Manor, NY 10567
MLS# 985623Listed by: COLDWELL BANKER REALTY - New
$615,000Active3 beds 3 baths2,100 sq. ft.41 Croft Lane, Cortlandt Manor, NY 10567
MLS# 978728Listed by: HOULIHAN LAWRENCE INC.
$649,900Active3 beds 2 baths1,550 sq. ft.9 Ridge Road, Cortlandt Manor, NY 10567
MLS# 978397Listed by: COLDWELL BANKER REALTY
$629,000Active3 beds 2 baths1,700 sq. ft.210 Varian Road, Cortlandt Manor, NY 10567
MLS# 971400Listed by: RE/MAX TOWN & COUNTRY