Lots 1-34 East Street, Slidell, LA 70461
Local realty services provided by:CENTURY 21 Action Realty
Lots 1-34 East Street,Slidell, LA 70461
$400,000
- 0 Acres
- Lots / Land
- Active
Listed by: monica davis
Office: all phase real estate
MLS#:2499935
Source:LA_GSREIN
Price summary
- Price:$400,000
About this home
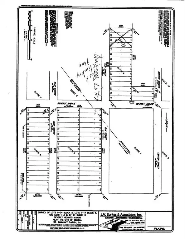
This listing offers a rare opportunity to acquire a package of 83 lots in the highly sought-after Beverly Heights Manor and Beverly Heights Subdivision, making it an exceptional investment for builders, developers and investors. The lots are strategically located across multiple streets in a prime area with excellent proximity to Bus Hwy 190E/Fremeaux, I-10, I-12, and the rapidly expanding Fremeaux Town Center. The package includes: Lots 1-17, Block 6 on East Street, Lots 18-34, Block 5 on East Street, Lots 1-17, Block 5 on Elm Street, Lots 41-51 Block 9 on Elm Street, Lots 25-28, Square 2 on Beverly Avenue, Lots 43-59, Square 6 on Beverly Avenue. Surrounded by newer developments, this land offers immense potential for future growth and construction. With new lots size requirements for building, this package offers the ability to develop approximately 41 new homesites at 50' lot widths or 27 if 75' lot widths per Seller. Please refer to plats and surveys for detailed information.
Contact an agent
Home facts
- Listing ID #:2499935
- Added:501 day(s) ago
- Updated:April 05, 2026 at 02:58 PM
Structure and exterior
- Lot Features:City Lot
Finances and disclosures
- Price:$400,000
New listings near Lots 1-34 East Street
- New
$135,000Active3 beds 1 baths1,200 sq. ft.797 Pinetree Street, Slidell, LA 70458
MLS# 2545276Listed by: CENTURY 21 J. CARTER & COMPANY - New
$374,900Active4 beds 3 baths2,705 sq. ft.300 Intrepid Drive, Slidell, LA 70458
MLS# 2551256Listed by: ENGEL & VOLKERS SLIDELL - MANDEVILLE - New
$415,000Active5 beds 3 baths3,168 sq. ft.7901 Camellia Bud Court, Slidell, LA 70461
MLS# 2551262Listed by: MEGHAN MERCADEL, BROKER - New
$60,000Active3.98 AcresHardin Road, Slidell, LA 70461
MLS# 2551252Listed by: ATLAS REAL ESTATE COMPANY, LLC - New
$425,000Active5 beds 3 baths2,634 sq. ft.273 Cypress Lakes Drive, Slidell, LA 70458
MLS# 2545056Listed by: COMPASS SLIDELL (LATT14) - New
$200,000Active3 beds 2 baths1,600 sq. ft.36504 Eric Street, Slidell, LA 70460
MLS# 2550895Listed by: FRERET REALTY - New
$235,000Active3 beds 2 baths1,503 sq. ft.651 Dale Drive, Slidell, LA 70458
MLS# 2551121Listed by: COMPASS KENNER (LATT30) - New
$299,500Active4 beds 3 baths2,350 sq. ft.1104 Charlie Drive, Slidell, LA 70461
MLS# NO2550671Listed by: ENGEL & VOLKERS SLIDELL - MANDEVILLE - New
$407,900Active4 beds 3 baths2,656 sq. ft.6752 Delta Ridge Avenue, Slidell, LA 70461
MLS# NO2551122Listed by: D.R.HORTON REALTY OF LOUISIANA - New
$407,900Active4 beds 3 baths2,656 sq. ft.6594 Delta Ridge Avenue, Slidell, LA 70461
MLS# NO2551125Listed by: D.R.HORTON REALTY OF LOUISIANA